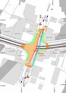
Travaux de nuit : Tirage de la ligne aérienne de contact (LAC)
Dans le cadre des travaux du tram, des opérations de tirage de la ligne aérienne de contact (LAC) se dérouleront de nuit sur plusieurs axes du secteur. Ces interventions entraînent des fermetures temporaires de voies, strictement limitées aux heures nocturnes (22h–6h).
Planning des interventions
🗓 Nuits du 18 au 19 et du 19 au 20 mai — 22h à 6h
Avenue de Verdun
- Circulation coupée dans les deux sens jusqu’au carrefour Beulet
Accès riverains :
- Verdun Ouest : non maintenu
- Verdun Est : possible par la route A. Baud (gênes ponctuelles à prévoir)
🗓 Nuits du 19 au 20 et du 20 au 21 mai — 22h à 6h
- Avenue de Verdun Ouest : circulation rétablie
- Carrefour Beulet : non traversable
- Rond-point de l’Étoile : circulations maintenues sur la route des Vallées, la rue de Romagny et la rue des Tournelles
- Rue du Giffre : pas de débouché sur le rond-point de l’Étoile
Accès riverains :
- Verdun Est : par la route A. Baud en aller-retour (gênes ponctuelles à prévoir)
- Barbusse Est et Ouest : possible depuis Beulet en aller-retour (gênes ponctuelles à prévoir)
- Giffre : possible en aller-retour depuis le carrefour avec l’avenue Jules Ferry
🗓 Nuits du 25 au 26 et du 26 au 27 mai — 22h à 6h
- Carrefour Ferry : fermé entre 00h et 5h
- Rond-point de l’Étoile : rue A. Briand et avenue Barbusse fermées — pas de débouché depuis la rue du Giffre. Circulations maintenues sur la route des Vallées, la rue de Romagny et la rue des Tournelles
Accès riverains :
- Giffre : possible en aller-retour depuis le carrefour avec l’avenue Jules Ferry
- Copropriété Le Président (par R. Blanc) : coupé entre 23h30 et 5h
- Impasse Faucigny : coupée entre 22h et 6h
Ce qu’il faut savoir
- ✅ Les fermetures sont strictement limitées aux heures de nuit : 22h à 6h
- ✅ Des déviations et signalisations temporaires seront mises en place
- ⚠️ Les cheminements piétons aux abords de la plateforme ne sont pas garantis pendant les heures d’intervention — des passages pourront être organisés selon l’avancement des travaux
💡 Qu’est-ce que le tirage de la LAC ? Il s’agit de dérouler et fixer le câble électrique qui alimentera le tram en énergie, en le tendant entre les mâts et les ancrages déjà posés le long du tracé. Pour des raisons de sécurité, ces opérations nécessitent de neutraliser temporairement la circulation — véhicules et piétons — sur les axes concernés. Elles sont réalisées de nuit pour limiter la gêne au maximum.
Modification d’accès au parking copro Le Président
Dans le cadre de la réalisation de la voirie définitive devant la copropriété, l’accès au parking côté place Deffaugt sera fermé à partir du lundi 4 mai et jusqu’à fin août 2025. Un itinéraire alternatif est mis en place pour garantir l’accès à votre stationnement.
Votre nouvel itinéraire d’accès par l’aire piétonne
🟢 Pour entrer dans votre parking
Depuis l’avenue Jules Ferry, empruntez l’avenue Pasteur puis la rue René Blanc jusqu’à l’entrée du parking.
💡 Conseil pratique : Avancez suffisamment près de la borne pour déclencher la reconnaissance de votre plaque d’immatriculation.
🔴 Pour sortir de votre parking
Revenez sur la rue René Blanc en sens inverse, puis rejoignez l’avenue Jules Ferry en passant par la rue Paul Bert.
⚠️ Attention aux croisements : La portion de la rue René Blanc comprise entre la rue Paul Bert et la rue du Faucigny est empruntée dans les deux sens — aussi bien à l’entrée qu’à la sortie. Soyez vigilants.

🚋 À partir de fin juin : attention aux rames de tram
Dès la fin du mois de juin, les rames de tram commenceront à circuler sur la rue du Faucigny. Lors de la traversée entre la rue René Blanc et l’accès à votre parking, une vigilance particulière est demandée.
Votre plaque n’a pas été enregistrée ?
Si votre plaque d’immatriculation n’a pas encore été enregistrée dans le système de reconnaissance, contactez-nous au plus vite afin de régulariser votre situation et d’éviter tout désagrément.
Travaux rue du Chablais et place Deffaugt : point d’avancement
Les travaux rue du Chablais se poursuivent afin de transformer la rue en un espace plus agréable à vivre (zone de rencontre). Voici les principales étapes prévues, sous réserve de la météo et des imprévus de chantier :
Zone 1
- Les travaux de terrassement (préparation du sol) et l’installation du réseau d’arrosage sont terminés.
- Du 23 mars au 24 avril : réalisation des revêtements (pose des bordures et finitions en cours).
- Mi-avril (entre le 13 et le 24 avril, à confirmer) : coulage du béton.
- La première couche de chaussée a été posée le 1er avril sur la partie sud de la rue.
- Du 27 avril au 8 mai : installation du mobilier urbain (bancs, équipements…) et des plantations.
Zone 2
- Les travaux de préparation du sol sont en cours depuis le 23 mars.
- La mise en place des revêtements va démarrer le 4 mai avec un coulage des bétons prévu à partir de fin mai
Zone 3
Démarrage en juin
À retenir
⚠️ La rue est actuellement fermée à la circulation.
Seuls les habitants et les clients de l’hôtel peuvent accéder à la zone en travaux.
Les livraisons sont organisées en 2 points : 1 emplacement sur la rue du Mont-Blanc et 1 emplacement dans la rue du Chablais en limite de la zone chantier (vers le n°8). Dans les faits, emplacement rue du Mont-Blanc bien matérialisé. Emplacement rue du Chablais mouvant en fonction de l’avancement du chantier.
Place Deffaugt
- Les travaux de préparation du sol sont en cours. Une première couche de chaussée a déjà été réalisée du côté de la voie du tram + sur le centre de la place
- À partir du 4 mai : début des travaux sur la future voie de bus (BHNS) et le trottoir côté Le National.
- En parallèle, les travaux de pavage de la voie du tram se poursuivent pendant le mois d’avril.
- À partir du 4 mai : retrait des matériaux actuels puis pose du pavage au nord du secteur Commerce et le long des vitrines, jusque début/mi juin pour terminer tout le secteur au nord de la rue du Commerce
- La livraison de la place est prévue courant septembre (les plantations auront lieu à partir de novembre).
La Ville d’Annemasse vous remercie de votre compréhension et met tout en œuvre pour limiter la gêne occasionnée.
Intervention repoussée, fermeture rond point de l’Etoile
LES NUITS DU 13 AU 18 AVRIL ET DU 20 AU 25 AVRIL
Suite aux conditions météorologiques défavorables, les interventions prévues sur le rond-point de l’Étoile ont été reportées.
ARMEMENT DES MÂTS DE LA LIGNE AÉRIENNE DE CONTACT (LAC)
Semaine 1 — Nuits du lundi 13 au vendredi 17 avril — de 22h à 6h
Cette phase consiste à équiper les mâts précédemment installés des éléments nécessaires à l’alimentation électrique du futur tram : bras, fixations et câbles de la ligne aérienne de contact sont préparés au sol, puis levés et fixés en hauteur, mât par mât. Ces interventions sont réalisées de nuit afin de réduire au maximum l’impact sur la circulation.
REALISATION DE LA VOIRIE DEFINITIVE DANS LE GIRATOIRE
Semaine 2 — Nuits du lundi 20 au vendredi 24 avril — de 20h à 6h
Cette seconde phase consiste à l’achèvement des travaux du rond-point de l’Étoile. Ces travaux permettront de livrer le giratoire dans sa configuration définitive : voirie finalisée, mâts de la ligne aérienne de contact et marquages au sol.
Nuits du lundi 20 au mardi 21 avril, de 20h à 6h : travaux de voirie (décroutage et tirage des enrobés). Ces opérations sont susceptibles de générer des nuisances sonores importantes.
Nous nous excusons pour la gêne occasionnée et vous remercions pour votre compréhension.
Reprise du béton désactivé au 1 rue René Blanc
Dans le cadre des travaux de piétonnisation, une reprise du béton désactivé va avoir lieu devant le 1 rue René Blanc (entre le Crédit Agricole et la GMF), du 16 au 25 avril 2026.
Fermeture de l’accès au parking 5 rue du Chablais
Dans le cadre des travaux de piétonnisation, fermeture de l’accès au parking à côté du Bony’s 5 rue du Chablais, le lundi 13 avril de 8h à 12h.
Fermeture de la rue du Parc
Dans le cadre de la finalisation des travaux de voirie du tram, la rue du Parc sera fermée à la circulation en journée du mardi 7 au vendredi 17 avril 2025.
Ce qu’il faut retenir
La fermeture se déroule en deux phases successives :
Phase 1 – Travaux du tram (du 7 au 15 avril, hors week-end) La rue du Parc est fermée chaque jour de 9h à 16h30. La circulation reste possible normalement en dehors de ces horaires, en soirée et la nuit.
Phase 2 – Intervention GRDF (jeudi 16 et vendredi 17 avril) À l’issue des travaux du tram, GRDF interviendra à son tour sur la rue du Parc, qui restera fermée ces deux jours supplémentaires. En cas d’urgence liée au gaz, contactez le numéro vert GRDF : 0 800 47 33 33 (appel gratuit).
Impacts sur la circulation et le stationnement
Parking Montessuit — fermé pendant toute la durée des travaux Les abonnés sont transférés au parking Chablais Park jusqu’au 17 avril inclus.
Rue Molière La sortie sur rue Molière n’est pas impactée par les travaux. L’accès par la rue du Parc reste possible uniquement avant 9h et après 16h30.
Les commerces restent ouverts
Tous les commerces de la rue du Parc demeurent ouverts et accessibles à pied pendant toute la durée des travaux.
Vous avez une situation particulière ?
Si cette fermeture vous pose des difficultés importantes en raison d’un handicap ou d’une autre situation spécifique, notre équipe est à votre disposition pour étudier des solutions adaptées.
📞 04 85 22 00 02 (lundi au vendredi, 9h–12h30) ✉️ contact@tram-pietonnisation.fr 🌐 tram-pietonnisation.fr
Nous nous excusons pour la gêne occasionnée et vous remercions pour votre compréhension.
Rue Aristide Briand : mise en sens unique
Du mercredi 11 au vendredi 13 mars, la rue Aristide Briand sera mise en sens unique dans le cadre des travaux de pavage du tram. Les commerces restent ouverts et accessibles pendant toute la durée des travaux.
Ce qui change pour la circulation
Pendant ces 3 jours, la rue Aristide Briand sera accessible dans un seul sens :
- ✅ Entrée possible depuis la rue Briand en direction du rond-point de l’Étoile
- ❌ Sortie impossible depuis le rond-point de l’Étoile vers la rue Briand
- ✅ Les accès riverains sont maintenus
Perte temporaire d’accès à votre parking privé n°12, 12B et 14 rue du Chablais
Pour les riverains possédant un parking privé aérien n° 12, 12B et 14 rue du Chablais, l’accès à votre parking privé sera impossible courant avril/mai 2026 pour une durée estimée d’1 mois et demi.
Une solution de stationnement est prévue par la Ville :
Les riverains ne pouvant plus accéder à leur place de parking pourront bénéficier d’un badge d’accès au parking Chablais Park afin de stationner gratuitement.
Comment en bénéficier ?
Si vous êtes concerné, la Ville vous invite à contacter rapidement l’Info Tram Piétonnisation à l’adresse mail suivante : contact@tram-pietonnisation.fr, en fournissant pour chaque stationnement privé ces informations :
-Nom et prénom
-Numéro de téléphone
-Adresse mail
-Numéro de votre plaque d’immatriculation
-Un justificatif de domicile prouvant que vous possédez un stationnement privé (titre de propriété ou bail)
Vous serez recontacté quelques jours avant la fermeture des accès afin d’organiser la remise de votre badge.
Veuillez nous excuser pour la gêne occasionnée, nous vous remercions pour votre compréhension.
Perte temporaire d’accès à votre parking privé aérien n°4, 6, 8 et 8A rue du Chablais
Pour les riverains possédant un parking privé aérien n° 4, 6, 8 et 8A rue du Chablais, l’accès à votre parking privé aérien sera impossible courant mai/juin 2026 pour une durée estimée de 1 à 2 semaines (entrée par le n°8A).
Une solution de stationnement est prévue par la Ville :
Les riverains ne pouvant plus accéder à leur place de parking pourront bénéficier d’un badge d’accès au parking Montessuit afin de stationner gratuitement.
Comment en bénéficier ?
Si vous êtes concerné, la Ville vous invite à contacter rapidement l’Info Tram Piétonnisation à l’adresse mail suivante : contact@tram-pietonnisation.fr, en fournissant pour chaque stationnement privé ces informations :
-Nom et prénom
-Numéro de téléphone
-Adresse mail
-Numéro de votre plaque d’immatriculation
-Un justificatif de domicile prouvant que vous possédez un stationnement privé (titre de propriété ou bail)
Vous serez recontacté quelques jours avant la fermeture des accès afin d’organiser la remise de votre badge.
Veuillez nous excuser pour la gêne occasionnée, nous vous remercions pour votre compréhension.
Fermeture de l’avenue Henri Barbusse de 9h à 16h
Dans le cadre des travaux du tram, l’avenue Henri Barbusse sera fermée à la circulation par phases successives, de 9h à 16h. Ces travaux comprennent la pose des mâts d’éclairage, le tirage des câbles, la plantation des arbres ainsi que la finalisation des revêtements définitifs et des trottoirs devant les commerces.
Planning des fermetures
Côté Est (côté arcades) :
- Du lundi 23 au vendredi 27 février
Côté Ouest (côté boucherie, Action, Jour de Fleur’aison, Zeeman) :
- Lundi 23 et mardi 24 février
- Lundi 2, mardi 3 et mercredi 4 mars
- Lundi 9 et mardi 10 mars
Impact sur les accès
Attention : Les accès riverains ne seront pas possibles de 9h à 16h pendant toute la durée des travaux. L’accès normal est maintenu en dehors des heures de fermeture (avant 9h et après 16h).
Accès aux commerces
Les commerces restent ouverts et accessibles à pied durant toute la période des travaux.
Avenue de Verdun fermée à la circulation
Dans le cadre des travaux du tram, l’avenue de Verdun sera fermée à la circulation du lundi 16 février au vendredi 20 février inclus, de 9h à 16h. Ces travaux consistent en la pose des mâts d’éclairage et le tirage de câbles.
Impact sur les déplacements
Circulation
Du 16 au 20 février
- fermeture de l’avenue de Verdun dans les 2 sens de 9h à 16h
- Circulation normale les soirs et nuits
⚠️ Attention : Les accès riverains ne seront pas possibles de 9h à 16h du côté Ouest de l’avenue (côté Lycée) pendant toute la durée des travaux. Accès normal en dehors des heures de fermeture (avant 9h et après 16h).
Du 16 février au 20 mars
- fermeture de l’avenue de Verdun côté Est
- accès riverains maintenus pendant toute la durée des travaux
Vos commerces restent ouverts
Tous les commerces de l’avenue de Verdun restent accessibles pendant les travaux.
Situations particulières
Si cette fermeture vous pose des difficultés, n’hésitez pas à contacter l’équipe Info Tram et Piétonnisation qui étudiera les solutions possibles.
Fermeture du carrefour rue du Faucigny – av. Jules Ferry
Pendant les vacances scolaires de février, du lundi 9 au lundi 23 février, le carrefour entre la rue du Faucigny et l’avenue Jules Ferry sera fermé à la circulation.
Ces travaux consistent à finaliser la plateforme du tram avec le retrait du cavalier provisoire et la pose du revêtement définitif de la plateforme.
Impact sur les déplacements
Circulation
- Fermeture complète du carrefour pendant toute la durée des travaux
- Des itinéraires de déviation seront mis en place et signalés
- Les accès riverains seront maintenus

Déviations semaine du 9 au 16 février – cliquez ici
Déviations semaine du 16 au 23 février – cliquez ici
Pourquoi pendant les vacances scolaires ?
Nous profitons de cette période pour limiter les impacts sur la circulation quotidienne et réaliser ces travaux structurants dans les meilleures conditions possibles.
Vos commerces restent ouverts
Tous les commerces du secteur restent accessibles pendant les travaux.
Rue du parc fermée de 9h à 16h30
Mise à jour : en raison des conditions météorologique, l’intervention est repoussée de 2 jours – la rue sera donc fermée les mercredi 18 et vendredi 20 février.
Dans le cadre des travaux du tram, la rue du Parc sera fermée à la circulation le mercredi 18 et vendredi 20 février, de 9h à 16h30.
La circulation reprendra normalement les soirs et nuits.
Impact sur les déplacements
Circulation
- Fermeture complète de la rue du Parc de 9h à 16h30
- Circulation normale les soirs et nuits
- Accès piétons maintenu
Parking Montessuit
- Parkinf fermé toute la semaine : du lundi 16 au vendredi 20 février
Rue Molière
- Sortie non impactée par les travaux
- Accès par la rue du Parc uniquement avant 9h et après 16h30
Vos commerces restent ouverts
Tous les commerces de la rue du Parc restent accessibles à pied pendant les travaux.
À noter
Dates sous réserve de conditions météorologiques favorables
En cas de conditions défavorables, la fermeture pourra être reportée dans la semaine.
Situations particulières
Si cette fermeture vous pose des difficultés importantes en raison d’une situation de handicap ou autre, n’hésitez pas à contacter l’équipe Info Tram et Piétonnisation qui étudiera les solutions possibles.
Modification de la circulation rue de Romagny
Du 26 janvier au 2 février 2025, la circulation rue de Romagny sera modifiée dans le cadre des travaux d’aménagements définitifs du giratoire de l’Étoile.
Impact sur la circulation

Modification de la circulation route des Vallées et des Tournelles
Du 2 au 13 février 2025, la circulation route des Vallées sera modifiée dans le cadre des travaux d’aménagements définitifs du rond-point de l’Étoile.


Travaux rue du Chablais
Travaux d’aménagement de la rue du Chablais
Les travaux de réaménagement du centre-ville se poursuivent rue du Chablais afin d’offrir une zone de rencontre sécurisée et végétalisée. Les travaux de terrassement liés à l’aménagement de la voirie débuteront le lundi 12 janvier et se poursuivront jusqu’au mois d’avril, avant une seconde phase d’intervention. Une déviation sera mise en place progressivement afin de permettre le bon déroulement du chantier.
Circulation et accès pendant les travaux
Des aires de retournement, permettant aux véhicules autorisés de faire demi-tour, sont prévues et des déviations signalées assurent le maintien des accès au quartier.
• Les riverains de la rue du Chablais doivent emprunter la rue Magnin pour accéder à la rue du Chablais. L’accès au sud de la rue du Chablais se fait en sens inversé depuis la rue Magnin. La sortie se fera en direction du nord par la rue Magnin ou en direction de la rue du Môle.
• Les cheminements piétons sont maintenus pendant toute la durée des travaux.
Livraisons
Les livraisons sont autorisées et organisées rue du Mont Blanc et rue du Chablais (en amont du chantier).

Fermeture temporaire de la rue de la Gare
MARDI 23 DÉCEMBRE 2025 DE 12H À 19H
A l’occasion de la grande parade du Père Noël de Bonjour l’Hiver, la nouvelle rue de la Gare fraichement transformée en zone de rencontre, sera inaugurée le mardi 23 décembre, à partir de 17h.
Pour le bon déroulement de cette inauguration et des animations qui l’entourent, des restrictions de circulation et de stationnement seront mises en place le 23 décembre de 12h à 19h.
Stationnement et arrêt interdits de 12h à 19h, circulation interdite de 13h30 à 19h :
· Rue de la Gare
· Rue Dupuis
· Rue du Commerce (portion comprise entre la place Deffaugt et l’avenue Pasteur)
· Rue des Vétérans
· Avenue Pasteur (portion comprise entre la rue du Commerce et l’entrée du parking
privatif du 6 avenue Pasteur)
· Rue de Genève (portion comprise entre la rue du Clos Fleury et la rue de la Gare)
· Rue Molière (portion Ligué/Gare)
De 13h30 à 19h, les véhicules circulant rue Ligué en provenance de la rue du Parc auront l’obligation de tourner à droite en direction de la rue du Clos Fleury. Le montage et l’installation des différentes installations interviendront dès le 23 décembre matin et le démontage au plus tard le 24 décembre.
La Ville d’Annemasse met tout en œuvre pour réduire les nuisances et vous remercie pour votre compréhension.
Fermeture de la ligne Info Tram et Piétonnisation pendant les fêtes
La ligne Info Tram et Piétonnisation sera fermée du samedi 20 décembre au lundi 5 janvier.
Durant cette période :
Pour les urgences liées aux chantiers uniquement
- En journée : laissez un message vocal au 04 85 22 00 02
- En soirée : vous serez automatiquement redirigé vers l’astreinte
Pour toute autre demande
- Envoyez un mail à contact@tram-pietonnisation.fr
- Une réponse vous sera apportée à partir du lundi 6 janvier
Trêve hivernale des chantiers
Cette fermeture coïncide avec la pause hivernale des travaux du Tram et de la Piétonnisation :
- À partir du 12 décembre : activité très fortement réduite
- Du 19 décembre au 6 janvier (voire 12 janvier selon les entreprises) : arrêt complet des chantiers
Nous vous remercions de votre compréhension et vous souhaitons d’excellentes fêtes de fin d’année.
Réouverture Place de la Poste
A partir du mercredi 17 décembre, la liaison entre la rue de la Gare et l’Avenue de la gare (par la Place de la Poste) sera réouverte à la circulation.
Travaux d’enrobés rue du Chablais
Des travaux de reprise des enrobés seront réalisés sur la chaussée de la rue du Chablais du 15 au 17 décembre 2025.
Pour les riverains et les occupants disposant d’une place de parking au 26, rue du Chablais, l’intervention de l’entreprise Colas, pourra entraîner des interruptions ponctuelles de la circulation.
L’entreprise mettra tout en oeuvre pour maintenir l’accès au parking, mais des coupures temporaires de la circulation pourraient être nécessaires.
Pour rappel, une déviation est déjà mise en place, dans le sens :
Rue Magnin > Avenue Jules Ferry > Rue du Levant > Avenue Florissant > Rue de Romagny.
Av. Barbusse fermée sens Aubrac vers Etoile de 9h à 16h30
Dans le cadre des travaux du tram, l’av. Henri Barbusse sera fermée à la circulation le jeudi 11 décembre, de 9h à 16h30. Ces travaux consistent au retrait de la traversée provisoire aménagée sur la plateforme du tram. Cette intervention permet de finaliser les aménagements et de réouvrir les deux avenues à double sens.
Jeudi 11 décembre au matin Av. de Verdun
Sens Aubrac → Étoile : ouvert
Sens Étoile → Aubrac : réouvert
Jeudi 11 décembre au matin Av. H.Barbusse
Sens Aubrac → Étoile : fermé de 9hà 16h30
Sens Étoile → Aubrac : réouvert
Jeudi 11 décembre au soir Av. H.Barbusse
Sens Aubrac → Étoile : réouvert à partir de 16h30
Sens Étoile → Aubrac : réouvert
Changement temporaire du sens de circulation sur l’aire piétonne
Du vendredi 5 à partir de 16h, au vendredi 12 décembre à 12h, un changement du sens de circulation sera opéré pour les véhicules légers des riverains disposant d’un accès à l’aire piétonne.
Pour les riverains des rues des Vétérans, du Commerce et de l’Avenue Pasteur (entre la rue du Commerce et la rue René Blanc), un changement du sens de circulation aura lieu temporairement pour accéder à l’aire piétonne.
Il faudra emprunter la rue de Genève, la rue Dupuis, la rue de la Gare et accéder à l’aire piétonne par la rue des Vétérans.
Consciente des désagréments occasionnés, la Ville d’Annemasse vous remercie de votre compréhension et met tout en œuvre pour améliorer votre cadre de vie.
Attention : coupures télécom possibles dans votre quartier
Orange nous informe que des interruptions temporaires des services télécom (ADSL et fibre) sont à prévoir durant les trois premières semaines de décembre 2025.
Secteurs et durée des coupures
Les interventions techniques toucheront un large périmètre englobant les communes d’Ambilly, Annemasse et Étrembières.
Les coupures seront organisées quartier par quartier et ne devraient pas excéder une demi-journée par secteur.
Tous les opérateurs concernés
Ces interruptions de service concernent l’ensemble des opérateurs télécom (Orange, Free, SFR, Bouygues, etc.).
Solutions pour les professionnels et télétravailleurs
Les professionnels et télétravailleurs qui doivent impérativement maintenir leur connexion internet durant cette période sont invités à contacter leur opérateur pour s’informer des solutions palliatives disponibles (partage de connexion, solutions 4G/5G temporaires, etc.).
En cas de question
Pour toute information complémentaire concernant ces coupures, nous vous invitons à contacter directement votre opérateur télécom.
Prolongation modification d’accès rue J.Cursat
Dans le cadre de la réalisation du projet du tram, la fermeture de la rue Joseph Cursat côté rue du Parc, initialement prévue jusqu’en décembre 2025, doit être prolongée jusqu’en juillet 2026. Cette prolongation fait suite à des contraintes extérieures qui ont nécessité une réorganisation des phasages de chantier.
Plan de circulation maintenu
L’organisation de la circulation dans la rue Joseph Cursat reste inchangée :
- Entrée et sortie : uniquement par la rue du Docteur Coquand
- Accès réservé : la barrière installée limite l’accès aux riverains uniquement
Pourquoi cette prolongation ?
La réalisation du projet du tram nécessite une coordination précise entre les différentes phases de travaux. Des contraintes extérieures ont imposé une réorganisation du planning de chantier, rendant nécessaire le maintien de cette restriction d’accès pour plusieurs mois supplémentaires.
Une rencontre pour répondre à vos questions
L’équipe du projet organise une rencontre publique le mardi 25 novembre à 18h30 dans la salle C001 (rez-de-chaussée) au 13 avenue Émile Zola.
Cette rencontre sera l’occasion de :
- Répondre à toutes vos questions
- Échanger sur vos préoccupations
- Vous informer de l’avancement général du projet
Vous n’êtes pas disponible ?
L’équipe reste à votre écoute du lundi au vendredi de 9h à 12h30 par téléphone au 04 85 22 00 02
ou par mail : contact@tram-pietonnisation.fr
Aménagement provisoire du sud de la place Deffaugt et du nord de la rue du Commerce
Les dallages prévus pour le revêtement définitif du nord de la rue du Commerce et du trottoir sud de la place Deffaugt ne seront pas livrés avant février 2026.
À cette période, il ne sera pas possible de réaliser cet aménagement car les travaux de la ligne du tram empêcheront l’accès aux engins permettant la livraison et la mise en œuvre des dallages.
Le revêtement définitif ne pourra pas se faire avant mai 2026, et il sera effectué en même temps que le pavage du tram.
Afin de sécuriser les déplacements et rendre cette zone plus confortable, un remblaiement temporaire en matériau stabilisé et la mise en place de tapis rouges seront effectués du 18 au 19 novembre 2025.
La Ville d’Annemasse vous remercie pour votre compréhension et met tout en œuvre pour réduire les nuisances liées aux travaux.
Changement temporaire de l’accès à l’aire piétonne
Afin de réaliser une reprise du plateau en pavés au croisement entre la rue de Genève et la rue de la Gare, l’accès à l’aire piétonne (côté Place de l’Hôtel de Ville, rue du Commerce et rue des Vétérans) par les véhicules devra se faire par la rue Fernand David à partir du 17 novembre. La durée des travaux est estimée à 3 semaines. La circulation sera fermée dès le croisement avec la rue Adrien Ligué.
Exceptionnellement, les bacs de fleurs rue Fernand David à l’intersection avec la rue Alfred Bastin seront déplacés pendant la durée de ces travaux. La sortie des véhicules devra se faire par l’avenue Pasteur, puis la rue René Blanc, puis la rue Paul Bert.
Cette modification d’accès concerne les arrivées initialement prévues rue des Vétérans, Place de l’Hôtel de Ville, et avenue Pasteur sur son tronçon entre la rue du Commerce et la rue René Blanc, qui seront toutes déviées.

La Ville d’Annemasse vous remercie pour votre compréhension et met tout en œuvre pour réduire les nuisances liées aux travaux.
Modifications de circulation rue Aristide Briand
Du 3 au 30 novembre 2025, la circulation sera modifiée rue Aristide Briand pour permettre le retrait du cavalier provisoire et la réalisation de la voirie définitive. Les travaux se dérouleront en deux phases successives.
Phase 1 : du 3 au 10 novembre – Mise en sens unique
La rue Aristide Briand sera accessible en sens unique uniquement.
Concrètement, qu’est-ce que cela change ?
- Vous pourrez entrer du rond-point de l’Etoile vers la rue Aristide Briand
- Il sera impossible de sortir de la rue Briand vers le rond-point de l’Étoile
- L’accès aux riverains est maintenu (flèche orange) ainsi qu’aux commerces
Itinéraires de déviations
Phase 2 : du 10 au 30 novembre – Fermeture totale
La rue Aristide Briand sera totalement fermée à la circulation.
Qu’est-ce qui reste accessible ?
- L’accès aux riverains est maintenu en permanence
- Tous les commerces de la rue restent ouverts et accessibles en voiture

Itinéraires de déviations
Prolongation fermeture accès parkings privés rue du Faucigny
L’essentiel à retenir
⚠️ La fermeture des accès aux parkings privés rue du Faucigny est prolongée jusqu’en juin 2026, au-delà de la date initialement prévue (fin novembre 2025).
Cette prolongation est liée à une réorganisation du phasage des travaux en raison de contraintes extérieures au projet.
Quels sont les travaux restant à réaliser ?
- Mise en place des revêtements de la plateforme du tram
- Réalisation des enrobés de la voirie définitive
- Pavage des trottoirs
Ces opérations nécessitent de maintenir la fermeture des accès à vos parkings privés pour des raisons de sécurité et de faisabilité technique.
Votre solution de stationnement maintenue
✅ Votre badge d’accès au parking Montessuit sera automatiquement prolongé jusqu’à la fin des travaux.
Aucune démarche n’est nécessaire de votre part.
Vous avez des questions ? Venez nous rencontrer
📅 Rendez-vous le mardi 4 novembre 2025 à 18h30
📍 En face du Parc Olympe de Gouges – rue René Blanc
L’équipe du projet sera présente pour :
- Vous présenter le planning détaillé des prochaines étapes
- Répondre à toutes vos questions
- Échanger sur vos préoccupations
- Vous informer de l’avancement général du projet
Coulage de béton sur trottoirs rue de la Gare
Afin de poursuivre les travaux d’aménagement de la rue de la Gare en zone de rencontre, des travaux de coulage de béton sur trottoirs auront lieu à partir du 20 octobre 2025.
Ces travaux s’effectueront progressivement par zones jour après jour, afin de lessiver le produit désactivant chaque lendemain de coulage. Nous vous remercions de vous référer au plan de phasage par numéro d’étape ci-dessous, qui précise l’ordre d’intervention des entreprises au fil des jours.
La date de fin des travaux est prévue pour le 31 octobre. Le chantier étant soumis aux aléas de la météo et pouvant être décalé en cas de pluie, cette date de fin des travaux est susceptible d’être reportée de plusieurs jours.
Pendant la durée de ces travaux, les commerces de la rue de la Gare restent ouverts et les riverains ont autorisation d’accès.

La Ville d’Annemasse vous remercie pour votre compréhension et met tout en œuvre pour réduire les nuisances liées aux travaux.
Coupure d’exploitation et travaux phase 1 (ligne 17) du tram
Pendant les vacances scolaires du 20 octobre au 2 novembre, une interruption temporaire de service aura lieu sur la phase 1 du tram entre la douane de Moillesulaz et le terminus Parc Montessuit. Cette coupure d’exploitation permettra de préparer le raccordement des rails à la phase 2 en construction et la réalisation de travaux d’entretien et d’amélioration de la sécurité. Un service de bus de substitution assurera la continuité des déplacements pendant toute la durée des travaux.
Plus d’informations concernant les horaires, arrêts et itinéraires :
Dans le cadre de l’interruption temporaire d’exploitation du tram pendant les vacances de la Toussaint, nous profitons de cette période pour réaliser des travaux de sécurisation et d’amélioration des infrastructures.
Pour en savoir plus sur les travaux :
- Rue Marcel Degerine et rue Aristide Briand cliquez ici En raison des conditions météorologiques, l’intervention est reportée à une date ultérieure – nous mettrons à jour cette information dès que la nouvelle date sera fixée.
- Secteur Moillesulaz cliquez ici
Fermeture en journée de la rue du parc
Fermeture temporaire pour travaux du tram
Du lundi 20 au vendredi 24 octobre et jeudi 30 octobre 2025
De 9h à 16h (hors week-ends)
L’essentiel à retenir
Dans le cadre des travaux de la ligne de tramway, la rue du Parc sera temporairement fermée à la circulation pendant 6 jours ouvrés en octobre.
Dates concernées : 20, 21, 22, 23, 24 et 30 octobre 2025
Horaires de fermeture : de 9h à 16h uniquement
Circulation normale : maintenue les soirs, nuits et week-ends
Impacts sur la circulation et les accès
Rue du Parc
- Fermée à la circulation de 9h à 16h les jours de travaux
- Accès rétabli chaque soir à partir de 16h et pendant les week-ends
Parking Montessuit
- Entrée fermée de 9h à 16h pendant les travaux
- Sortie maintenue : vous pouvez sortir du parking à tout moment
- Accès normal avant 9h et après 16h
Rue Molière
- Sortie libre : non impactée par les travaux
- Accès possible via la rue du Parc uniquement avant 9h et après 16h
Commerces et services
Tous les commerces de la rue restent ouverts et accessibles à pied pendant toute la durée des travaux.
Travaux d’aménagement rue de la Gare : phases 3 et 4
La piétonnisation du centre-ville se poursuit avec les travaux d’aménagement de la rue de la Gare en zone de rencontre. Ils se termineront mi-décembre afin d’offrir un espace partagé piétons/véhicules rénové et végétalisé.
La circulation automobile est fermée sur les lieux en cours d’aménagement et l’accès est dévié par d’autres rues. Les points d’apport volontaire aériens (tri sélectif, cartons et ordures ménagères) sont repositionnés côté place de l’Hôtel de Ville.
3e phase : Travaux de bordures, de voliges et de revêtements
Du 22 septembre au 28 novembre
Fermeture complète de la place de la Poste et de la rue de la Gare.
Circulation :
Les rues Adrien Ligué et Albert Montfort fonctionnent en impasse.
Pour aider les livraisons, des rampants seront mis en place.
L’accès à la rue des Vétérans se fait par la sortie borne côté «La Taverne d’Annemasse», mise en position ouverte.
Les vendredis matins, jours de marché :
– Pas d’accès possible à l’aire piétonne côté place de l’Hôtel de Ville de 6 h à 14 h.
– Les riverains de la rue des Vétérans et de la rue du Commerce sont autorisés à passer par l’avenue Pasteur à contre-sens jusqu’à 14 h.
4e phase : Plantation d’arbres, terre végétale, installation du mobilier urbain
Du 28 novembre au 17 décembre
Fermeture complète de la place de la Poste.
Circulation :
La circulation sera maintenue au mieux rue de la Gare.
Des coupures ponctuelles de circulation automobile sont à prévoir lors de certaines interventions.
Nous vous remercions pour votre compréhension.
Plan de circulation téléchargeable :
Coupures internet répétées : que faire et comment être accompagné ?
Que faire en cas de coupure internet ?
1. Contactez immédiatement votre fournisseur d’accès
Premier réflexe : Appelez directement votre opérateur pour signaler la panne :
- Orange : 3900
- SFR, Bouygues Telecom ou tout autre opérateur : numéro de service client sur votre facture
2. Signalez également la coupure aux collectivités
Pour nous permettre de centraliser les informations et renforcer notre action :
- Email : contact@tram-pietonnisation.fr
- Téléphone : 04 85 22 00 02 (du lundi au vendredi de 9h à 12h30)
Ces signalements nous aident à documenter les dysfonctionnements
Les collectivités restent très attentives et agissent
Une mobilisation permanente
Les collectivités (Pôle métropolitain, Annemasse Agglo et Ville d’Annemasse) suivent de très près cette situation qui dure depuis plusieurs mois. Nous sommes particulièrement attentifs à l’évolution des problèmes et continuons d’intervenir avec fermeté auprès des opérateurs concernés.
Une procédure de dialogue en cours
Face à ces dysfonctionnements qui durent depuis plusieurs mois, une procédure de dialogue est actuellement en cours avec les opérateurs télécoms :
- Échanges officiels pour comprendre l’origine des problèmes
- Demande de présentation des actions d’amélioration prévues
- Suivi régulier de l’évolution de la situation
Les collectivités restent déterminées à faire valoir les droits des usagers et n’excluent aucune démarche pour obtenir des solutions durables.
Prochainement : un accompagnement juridique gratuit
Des permanences pour vous accompagner
Bonne nouvelle : Pour soutenir concrètement les commerçants et habitants dans leurs démarches, les collectivités vont prochainement mettre en place des permanences juridiques gratuites.
Ces permanences vous permettront :
- D’être conseillé sur vos droits
- D’être accompagné dans vos procédures contre l’opérateur défaillant
Les modalités pratiques et les horaires de ces permanences seront communiqués très prochainement.
Modifications des circulations rond-point de l’étoile
L’essentiel à retenir
À partir du 15 septembre, la circulation au rond-point de l’Étoile évolue avec plusieurs changements importants dans le cadre de la réalisation de la plateforme du tram.
Les principales modifications :
- ✅ Réouverture de l’avenue du Giffre à la circulation
- ✅ Réouverture de la rue des Tournelles
- ⚠️ Mise à sens unique de la route des Vallées

Impact sur vos déplacements
Axes rétablis
Avenue du Giffre : Vous pouvez à nouveau emprunter cet axe dans les deux sens de circulation. Cette réouverture améliore significativement l’accès au centre-ville depuis le nord.
Rue des Tournelles : La circulation est rétablie, offrant une alternative supplémentaire pour rejoindre ou contourner le rond-point de l’Étoile.
Fermeture temporaire de commerces et du trottoir – Place Deffaugt
Dans le cadre de la finalisation des aménagements de la piétonnisation en limite des travaux du tram rue du Commerce, des travaux de terrassement et de coulage de bitume auront lieu du mercredi 3 au mardi 9 septembre.
L’accès piéton sera donc restreint, y compris pour les riverains, et les travaux entraîneront la fermeture provisoire de plusieurs commerces.
Mercredi 3 septembre : Commerces ouverts, mais l’accès piéton entre la Pharmacie Croix Verte et Côté Coiffure sera fermé. Une déviation sera mise en place pour le reste des travaux.
Jeudi 4 : Ouverture ponctuelle d’ORPI. Pour accéder à Côté Coiffure, l’accès se fera via l’entrée du 24 rue du Commerce. Accès ponctuel pour les riverains, qui devront se manifester aux ouvriers du chantier pour les entrées et sorties.
Vendredi 5 : Fermeture d’ORPI. Pour accéder à Côté Coiffure, l’accès se fera via l’entrée du 24 rue du Commerce. Accès perturbé au 4 place Deffaugt : des tranches horaires d’inaccessibilité vous seront communiquées. En dehors de ces tranches horaires, merci de modérer les entrées et sorties de l’immeuble.
Samedi 6 et Dimanche 7 : Commerces ouverts.
Lundi 8 : Le matin, fermeture de la Pharmacie Croix Verte et de l’accès au 24 rue du Commerce.
Mardi 9 : Commerces ouverts. Coulage de bitume au nord de la rue du Commerce, côté Okaïdi, sans gêne d’accès.
Nous vous remercions pour votre compréhension.
Coupure d’eau au 10 rue du Chablais
Fermetures temporaires Place de la Poste
Deux phases de travaux
Dans le cadre des projets de tram et de piétonnisation du centre-ville, deux phases de travaux importantes vont impacter la circulation dans les prochains mois.
Phase 1 : Travaux du tram (13 au 25 août)
Fermeture de la place de la Poste
Du 13 au 25 août, la liaison entre la rue de la Gare et l’avenue de la Gare (place de la Poste) sera fermée pour permettre la réalisation de la plateforme rue du Parc.
Accès maintenus pour les riverains et livraisons
Accès à l’avenue de la Gare :
- Par l’avenue Émile Zola puis la rue de la Faucille
- Par la rue du Môle depuis la rue du Chablais
Autres aménagements :
- La partie de l’avenue de la Gare entre la rue du Mont-Blanc et la place de la Poste sera mise à double sens
- Mise à double sens de la rue A. Montfort pour permettre l’accès à la portion de la rue de la Gare située entre A. Montfort et la place de la Poste
Phase 2 : Piétonnisation (25 août à fin novembre)
Fermeture partielle de la rue de la Gare
À partir du 25 août jusqu’à fin novembre, la rue de la Gare sera partiellement fermée entre la rue des Vétérans et la place de la Poste pour poursuivre les travaux d’aménagement en zone de rencontre.
Circulations pour les ayants droit
Accès à la rue des Vétérans :
- Par la rue de Genève et la rue de la Gare (jusqu’à mi-septembre)
- Sortie par la rue Paul Bert
Aménagements spécifiques :
- Mise en impasse des rues Adrien Ligué et A. Montfort
- Accès uniquement depuis la rue de Genève en aller/retour
- Les livraisons pourront se faire par la rue Montfort en aller/retour
Les commerces restent ouverts
Important : Tous les commerces du secteur restent ouverts et accessibles pendant toute la durée des travaux. Les commerçants et leurs équipes mettent tout en œuvre pour vous accueillir dans les meilleures conditions.
Fermeture exceptionnelle de la rue du Chablais
Suite aux travaux sur les réseaux, et afin d’effectuer une opération de reprise provisoire de la chaussée en bicouche, une partie de la rue du Chablais sera fermée en journée de 8 h à 16 h le jeudi 31 juillet.
La portion concernée se situe entre la place Deffaugt et la rue du Môle.
Pendant la durée de l’opération, les entrées et les sorties des parkings seront fermées, et les livraisons ne pourront pas se faire.
L’entreprise Colas, chargée des travaux, mettra tout en œuvre pour limiter la gêne occasionnée.
La Ville d’Annemasse vous remercie de votre compréhension et s’engage à améliorer votre cadre de vie.
Coupure d’eau 6 et 11 rue des Voirons
Travaux sur les réseaux humides rue Adolphe Magnin et rue du Chablais
Afin de préparer la prochaine zone de rencontre de la piétonnisation rue du Chablais, des travaux de rénovation sur les réseaux humides auront lieu du 7 au 28 juillet au carrefour entre la rue Adolphe Magnin et la rue du Chablais.
La rue Adolphe Magnin sera mise en impasse, et il sera impossible de circuler au carrefour entre la rue Adolphe Magnin et la rue du Chablais.
Les riverains de la rue Adolphe Magnin pourront y accéder via l’avenue Jules Ferry, et ce, dans les deux sens.
La Ville d’Annemasse vous remercie de votre compréhension.
Modification d’accès impasse du Faucigny
Dans le cadre de l’avancement des travaux de prolongement du tram, l’accès à l’impasse du Faucigny sera modifié à partir du lundi 28 juillet. Cette mesure temporaire s’inscrit dans la continuité des travaux de voirie et de plateforme qui se déploient progressivement sur le tracé du futur tram.
Un accès repensé pour maintenir l’accès
À partir du 28 juillet, l’impasse du Faucigny sera accessible par un nouvel itinéraire. L’accès à l’impasse se fera désormais uniquement par la rue Madame Fleutet. Cette modification découle directement de l’avancement des travaux sur la future plateforme du tramway.
Pour maintenir l’accès aux résidents et aux commerces : la traversée de la future plateforme du tram sera rendue possible afin de rejoindre la rue Madame Fleutet.
Accessibilité :
- Circulation alternée régulée par des feux de signalisation
- Accès maintenu pour tous les riverains et commerces de la zone
- Sécurisation des déplacements pendant toute la durée des travaux
Ces aménagements temporaires garantissent que l’activité économique et la vie quotidienne des habitants puissent se poursuivre malgré les contraintes du chantier.
Adaptation des horaires du chantier tram
Mesures exceptionnelles en période de fortes chaleurs
Face aux températures élevées, nous avons mis en place des mesures d’adaptation sur le chantier du tram pour protéger nos ouvriers tout en poursuivant l’avancement des travaux.
Adaptation des horaires :
Quand le thermomètre dépasse 30°C, les entreprises peuvent désormais :
- Commencer les travaux dès 6h00
- Réduire la pause déjeuner à 1 heure (12h00-13h00)
L’objectif est d’éviter les heures les plus chaudes et préserver la santé des équipes.
Respect de la tranquillité des riverains :
Nous sommes conscients que ces horaires matinaux peuvent vous impacter. C’est pourquoi nous avons demandé aux entreprises de :
- Privilégier les travaux silencieux le matin
- Sensibiliser leurs équipes au respect du voisinage
Nous vous remercions de votre compréhension.
Travaux d’aménagement – Rue de la Gare
L’essentiel à retenir
- Durée : Du 10 juillet à mi-décembre 2025
- Objectif : Création d’une zone de rencontre piétons/véhicules
- Impact : Fermeture par tronçons avec déviations organisées
- Déviation principale : Rue Adrien Ligué mise en double sens
- Commerces : Restent ouverts et accessibles pendant tous les travaux
Accès aux commerces
Les commerces de la rue de la Gare restent ouverts et accessibles pendant toute la durée des travaux. Des solutions d’accès sont maintenues à chaque phase.
Qu’est-ce qu’une zone de rencontre ?
Une zone de rencontre est un espace urbain où les piétons sont prioritaires, suivis des vélos et trottinettes, puis des véhicules motorisés dont la vitesse est limitée à 20 km/h. Cet aménagement favorise le partage de l’espace et améliore la qualité de vie en centre-ville.
Planning détaillé des 4 phases
1ère phase : Terrassement secteur Albert Dupuis – Vétérans
Du 10 au 28 juillet 2025
Organisation de la circulation :

- Déviation par la rue Adrien Ligué
- Rue Albert Montfort en sens inversé vers la place de la Poste
- Accès rue des Vétérans maintenu pour les ayants droits via rue Montfort du 10 au 16 juillet puis depuis la rue de la Gare du 16 au 28 juillet
2ème phase : Terrassement secteur Vétérans – du Parc
Du 28 juillet au 1er août et du 25 août au 19 septembre 2025
Modifications importantes :

- Rues Adrien Ligué et Albert Montfort accessibles uniquement depuis la rue de Genève
- Circulation en impasse (rue du Parc fermée pour le tram dès le 8 septembre)
- Livraisons possibles par la rue Montfort
- Accès rue des Vétérans via rue de Genève et rue de la Gare pour les ayants droits
3ème phase : Bordures et revêtements
Du 22 septembre au 28 novembre 2025
Période la plus contraignante :

- Fermeture complète de la rue de la Gare et accès rue du Parc
- Rues Adrien Ligué et Montfort en impasse
- Livraisons en marche arrière uniquement
- Accès rue des Vétérans pour les ayants droits par la borne devant Maître Kanter
- Attention : Borne inaccessible les vendredis matins (jour de marché)
Cette phase comprend 7 semaines de travaux et 3 semaines de séchage (délai possiblement réductible).
4ème phase : Finitions et aménagements
De fin novembre à mi-décembre 2025
Travaux de finalisation :
- Plantation d’arbres et terre végétale
- Installation du mobilier urbain
- Circulation maintenue (sauf interventions ponctuelles)
Mesures d’accompagnement
Signalétique et information
- Panneaux de déviation installés sur tout le parcours
- Signalisation spécifique confirmant l’ouverture des commerces
- Information continue des riverains
Contact et assistance
En cas de difficulté particulière, vous pouvez contacter l’équipe tram et piétonnisation.
Cette transformation s’inscrit dans la démarche globale de piétonnisation du centre-ville d’Annemasse. À l’issue des travaux, la rue de la Gare offrira :
- Un espace apaisé et sécurisé pour tous les usagers
- Un environnement végétalisé et rénové
- Une meilleure qualité de vie en centre-ville
- Une articulation harmonieuse avec le futur réseau de tramway
Coupure d’eau – Rue du Chablais

Bascule voie de circulation Av. H.Barbusse
Dans le cadre des travaux du tramway, la circulation sur l’avenue Henri Barbusse sera déplacée côté droit pour permettre la reprise de la chaussée actuellement utilisée. Le sens de circulation reste inchangé : de l’avenue de Verdun vers le rond-point de l’Étoile.
Pour les riverains
Accès et stationnement :
- Accès maintenu à tous les stationnements
- Traversée du chantier organisée pour rejoindre les logements
- Passages sécurisés mis en place par les équipes
Collecte des ordures ménagères – Nouvelle consigne importante :
Les bacs devront être présentés au début de l’allée qui permet de traverser le chantier, au plus proche de la voie circulée.
Fermeture temporaire de la rue Malbrande
À partir du lundi 16 juin, la rue Malbrande sera fermée à la circulation pour une semaine dans le cadre des travaux de prolongement du tram
L’essentiel à retenir
- Dates : du lundi 16 juin au lundi 23 juin
- Accès riverains : maintenu avec itinéraire spécifique
Pourquoi ces travaux ?
Cette intervention s’inscrit dans la continuité des travaux de prolongement du tram d’Annemasse. Les équipes interviennent au début de la rue Malbrande / Av. Henri Barbusse pour poursuivre l’installation des infrastructures nécessaires au passage de la future ligne de tram.
Circulation et accès pendant les travaux
Pour les riverains
L’accès à vos domiciles et commerces reste possible selon l’itinéraire suivant :
- Entrée : par le parking côté avenue Henri Barbusse
- Sortie : côté route des Vallées

Plan des déviations et des circulations
Fermeture de la rue Joseph Cursat
La fermeture de la rue Joseph Cursat, initialement prévue plus tôt, est reportée et aura lieu dès lundi 26 mai au matin. Ce report est dû à un retard dans l’installation de la barrière d’accès.
Nouvel accès pour les riverains
À partir de lundi 26 mai, l’accès à votre domicile se fera exclusivement par la rue du Dr. Coquant à l’aide de votre badge d’accès.
Badge d’accès obligatoire
Si vous n’avez pas encore reçu votre badge, contactez rapidement votre syndic qui est en charge de la distribution. Ce badge sera indispensable pour accéder à votre domicile via le nouvel itinéraire.
Coupure d’eau dans plusieurs rues du centre-ville
Dans le cadre de la réfection du réseau d’eau potable, la Direction de l’Eau et de l’Assainissement d’Annemasse Agglo est contrainte à une coupure d’eau pour l’épreuve d’étanchéité des branchements d’eau potable neufs, le lundi 26 mai 2025, de 9h à 12h sur les rues :
- rue de la Gare, n°1 à rue des Vétérans
- rue A. Dupuis
- place de l’Hôtel de Ville, aile ouest du côté de la rue de la Gare
À la suite de cette intervention :
-Présence passagère d’eau trouble
-Présence possible d’air dans les conduites
Annemasse Agglo vous remercie de votre compréhension et vous prie de bien vouloir l’excuser à l’avance pour la gêne occasionnée.
Pour plus d’informations : DIRECTION DE L’EAU ET DE L’ASSAINISSEMENT
Téléphone : 04.50.87.62.73
Coupure d’eau dans plusieurs rues du centre-ville
Dans le cadre de la réfection du réseau d’eau potable, la Direction de l’Eau et de l’Assainissement d’Annemasse Agglo est contrainte de couper l’eau pour le raccordement de la conduite d’eau potable neuve sur le réseau existant, le lundi 19 mai 2025, de 8h30 à 18h sur les rues :
- rue de la Gare, n°1 à rue des Vétérans
- rue A. Dupuis
- rue de Genève, n°1 à rue du Clos Fleury
- place de l’Hôtel de Ville
À la suite de cette intervention :
-Présence passagère d’eau trouble
-Présence possible d’air dans les conduites
Annemasse Agglo vous remercie de votre compréhension et vous prie de bien vouloir l’excuser à l’avance pour la gêne occasionnée.
Pour plus d’informations : DIRECTION DE L’EAU ET DE L’ASSAINISSEMENT
Téléphone : 04.50.87.62.73
Fermeture de la rue de la Gare – du 22 au 30 avril 2025
Dans le cadre des travaux du réaménagement du centre-ville et du passage de la
rue de la Gare en zone de rencontre, la rue de la Gare au niveau du croisement avec
la rue de Genève (devant le magasin Touzeau) sera fermée jusqu’au 30 avril 2025.
Du 22 au 30 avril :
• Rue de la Gare fermée au croisement avec la rue de Genève
• Accès riverains et livraisons :
– Emprunter l’avenue de la Gare à contre-sens
– Depuis la rue du Mont-Blanc vers la rue de la Gare
– Puis jusqu’à la rue Montfort, ou la rue des Vétérans pour les véhicules autorisés dans l’aire piétonne et disposant d’un macaron.
Le mardi 22 avril uniquement :
• Sortie de l’aire piétonne actuelle (devant l’Hôtel de Ville), du côté de l’ancienne Taverne de Maître Kanter fermée
• Sortie uniquement par la rue des Vétérans (la borne sera en position basse pour les entrées et sorties)
• La rue de la Gare entre les rues Montfort et Vétérans sera en double sens ce jour là
Du 23 au 30 avril :
• Sortie de l’aire piétonne actuelle par la borne côté ex Taverne de Maître Kanter
• Direction la rue de Genève
La Ville d’Annemasse vous remercie de votre compréhension.
Modifications importantes de circulation secteur Rue du Parc
Nouvelles dispositions de circulation pour les travaux de la plateforme du tram
Dans le cadre des travaux de prolongement du tramway et de la réalisation de la plateforme rue du Parc, d’importantes modifications de circulation seront mises en place à partir du 5 mai et jusqu’à décembre 2025.
Quelles sont les modifications ?
Les changements concerneront plusieurs rues du secteur :

Plan modifications des circulations – pour ouvrir le plan cliquez ici
Rue du Parc dès lundi 5 mai :
- Fermeture de la rue après le Parking Montessuit
- Sortie obligatoire par la rue Molière puis Adrien Ligué
Rue Joseph Cursat à partir de lundi 26 mai :
- Fermeture du côté de la rue du Parc
- Accès uniquement par la rue du Dr Coquand pour les riverains (entrée et sortie)
Rue Camps :
- Fermeture excepté pour les riverains
- Impossibilité de rejoindre la rue du Parc en sortant de la rue Camps
Pourquoi ces travaux ?
Ces modifications s’inscrivent dans le cadre du projet de prolongement du tramway d’Annemasse. Après la phase de dévoiement des réseaux souterrains entamée en novembre 2023, les travaux entrent désormais dans une nouvelle étape avec la réalisation de la plateforme du tram rue du Parc. Cette phase est essentielle pour permettre la pose future des rails et l’aménagement de la voirie définitive qui accueillera le tramway.
Comment s’informer ?
Si vous avez des questions concernant ces travaux ou les modifications de circulation, n’hésitez pas à contacter l’équipe info tram :
-
- Par téléphone : 04 85 22 00 02 (ligne ouverte du lundi au vendredi de 9h à 12h30)
- Par email : contact@tram-pietonnisation.fr
Bétonnage rue René Blanc : accès aux parking temporairement fermé
Ce qu’il faut savoir
À partir du lundi 10 mars 2025, des travaux importants de bétonnage seront réalisés sur la partie nord de la rue René Blanc, incluant le croisement avec la rue Paul Bert.
Impact principal : L’accès au parking du n°3 rue René Blanc ne sera plus possible à partir du 10 mars au matin (veuillez prévoir de quitter le parking avant 7h) et ce jusqu’à début avril, après le temps de séchage nécessaire du béton désactivé.
Solution pour les riverains concernés
Pour faciliter cette période de transition, la Ville d’Annemasse met à disposition des places de stationnement temporaires au parking Montessuit pour les résidents du n°3 rue René Blanc.
Comment obtenir votre accès temporaire ?
Pour bénéficier de ces droits d’accès, nous vous invitons à :
- Transmettre vos justificatifs par mail à : contact@tram-pietonnisation.fr
- Ou vous rendre directement en mairie avec les documents suivants :
- Un justificatif d’identité
- Un justificatif de domicile (facture eau/EDF…)
- Un document prouvant que vous disposez d’un emplacement de stationnement
- La carte grise du/des véhicule(s) concerné(s)
Important : Il faut compter un minimum de 4 jours pour l’obtention d’un badge SAGS donnant accès au parking Montessuit. Nous vous recommandons donc d’effectuer vos démarches dès maintenant.
Note : Les pièces justificatives seront demandées uniquement aux riverains qui ne se sont pas encore enregistrés auprès de la Mairie.
Pourquoi ces travaux sont-ils nécessaires ?
Ces travaux s’inscrivent dans le cadre du projet global de piétonnisation du centre-ville d’Annemasse. Le coulage du béton désactivé pour les trottoirs et la voirie représente une étape importante qui permettra d’améliorer durablement la qualité des espaces publics et l’agrément de votre cadre de vie.
Intervention de nuit – Av. Jules Ferry
Nous vous informons que des travaux de réalisation des réseaux de gestion des eaux pluviales auront lieu au carrefour rue du Faucigny – Av. Jules Ferry (voir plan ci-dessous) dans les nuits du lundi 3 au 4 mars, du mardi 4 au 5 mars et du mercredi 5 au 6 mars de 20h à 6h du matin.
Ces travaux consistent en l’installation et la mise en place des infrastructures nécessaires pour évacuer efficacement les eaux pluviales, un élément essentiel pour assurer la pérennité des aménagements et éviter la formation de flaques d’eau sur cet axe. Ces opérations seront susceptibles de générer des nuisances sonores.
Annemasse Agglo met tout en œuvre pour limiter les désagréments et compte sur votre compréhension pour cette intervention nécessaire.

Route des Vallées : retour à double sens
À compter du lundi 3 mars, la route des Vallées sera remise en circulation à double sens. Cette modification fait suite aux avancées significatives des travaux dans ce secteur.
Impact sur vos déplacements
- Circulation fluidifiée : la remise à double sens permettra d’améliorer la circulation dans ce secteur
- Accès aux commerces facilité : les riverains et clients pourront accéder plus aisément aux commerces de la zone
- Transports en commun : les lignes de bus retrouveront leur itinéraire habituel (consultez les horaires sur tac-mobilites.fr)
Recommandations aux usagers
Nous vous invitons à rester vigilants lors de vos premiers passages sur cette voie réouverte à double sens, le temps que chacun se réhabitue à cette configuration.
Avis de coupure d’eau n°1 rue du Mont-Blanc et rue du Chablais
Une coupure d’eau est prévue le lundi 17 février 2025, de 8h30 à 16h rue du Mont-Blanc et au n°1 de la rue du Chablas
Dans le cadre des travaux de réfection du réseau d’eau potable, la Direction Eau et Assainissement d’Annemasse Agglo 04 50 87 62 73 effectue une coupure d’eau pour le
raccordement de la conduite principale.
Lorsque l’eau est rétablie, les abonnés sont avisés qu’ils doivent prendre les dispositions et précautions d’usage.
ATTENTION – A la suite de cette intervention :
– Présence passagère d’eau trouble
– Présence possible d’air dans les conduites
Le service Eau et Assainissement d’Annemasse Agglo vous remercie de votre compréhension et vous prie de l’excuser pour la gêne occasionnée.
Travaux piétonnisation : dernières actualités
Les travaux de réaménagement du centre-ville d’Annemasse avancent bien. Les dernières actualités :
- Rue du Commerce : la rue sera livrée mi février, le dallage est terminée et une partie du mobilier urbain sera posée prochainement. La fontaine sera en marche au printemps, et vous pouvez déjà admirer la rue pavée et végétalisée.
- Avenue Pasteur : les travaux de piétonnisation sont en cours et une partie de l’avenue est terminée et végétalisée. Le coulage des bétons sur l’autre partie en travaux est prévue du 24 février jusqu’à début mars. La plantation des vivaces et de l’éclairage prendra le relais après le séchage des bétons. L’avenue devrait être livrée en mars 2025.
- Rue et avenue de la Gare : le dévoiement des réseaux est en cours rue de la Gare jusqu’au mois de juin 2025. Avenue de la Gare le dévoiement des réseaux est également en cours jusqu’au mois de mai 2025. Les accès des riverains et les livraisons sont maintenus, néanmoins la circulation générale est fermée en amont.
- Rue du Mont-Blanc : le dévoiement des réseaux d’eau est en cours, puis le dévoiement des réseaux secs (gaz et Enedis) se fera en mars 2025. Les accès riverains et livraisons sont maintenus, la circulation se fait actuellement en boucle depuis l’avenue de la Gare et sortie par la rue du Chablais. La circulation générale est fermée en amont.
- Rue du Chablais : les travaux de réseaux doivent durer jusqu’en novembre/décembre 2025. Les conteneurs aériens ont été déplacé début février pour permettre l’avancée des travaux de tranchées. L’emplacement dans la rue Magnin est temporaire, ils seront repositionnés dans la rue du chablais après remblaiement de la tranchée, sur la partie un peu avant le cèdre. Ils seront probablement amenés à bouger selon l’avancement des travaux des différents concessionnaires.
Ceux côté H&M devraient rester en place pour plusieurs semaines/mois. - Des travaux pour étendre le réseau de chaleur sont actuellement en cours dans la rue du Commerce sud, jusqu’au mois d’avril 2025.
Le planning est soumis aux aléas des chantiers, la Ville d’Annemasse vous remercie pour votre compréhension.
Fermeture de la rue du Faucigny – entre Av. Jules Ferry et la rue René Blanc
⚠️ DATE : Du 27 janvier jusqu’à fin novembre 2025
En raison des travaux du Tram, la route sera barrée à partir de lundi 27 janvier.
Pour les riverains de la rue du Faucigny, l’accès aux parkings privés sera impossible dans les secteurs suivants :
- Rue du Faucigny entre l’avenue Jules Ferry et la rue René Blanc
- 8 rue du Faucigny
Solution proposée
Un badge d’accès au parking Montessuit est offert en compensation de votre place de stationnement privée.
Comment obtenir votre badge ?
Envoyez rapidement un email à contact@tram-pietonnisation.fr avec :
- Vos nom et prénom
- Un justificatif de domicile
Important : Anticipez votre demande en raison des délais de fabrication des badges.
Distribution
Vous serez contacté personnellement quelques jours avant la fermeture des accès pour organiser la remise de votre badge.
Travaux rues du Chablais et du Mont-Blanc
Dans le cadre du réaménagement du centre-ville, des travaux vont débuter en janvier 2025 dans les rues du Mont-Blanc et du Chablais. A terme la rue du Chablais deviendra une zone de rencontre, avec la priorité des piétons et des cycles sur les véhicules qui devront rouler à 20km/h maximum.
À partir du 14 janvier 2025, l’accès sera interdit aux véhicules (sauf aux riverains, aux livraisons et pour les accès aux chantiers) depuis l’avenue de la Gare (au croisement avec la rue du Môle), la rue du Mont-Blanc et la rue du Chablais. Le stationnement sur la voie publique dans les rues du Mont-Blanc et du Chablais sera supprimé.
Rue du Chablais : dévoiement des réseaux jusqu’au mois d’octobre 2025
A partir du 14 janvier 2025 des travaux pour déplacer et rénover des réseaux d’eau auront lieu jusqu’au mois de juin, suivis par d’autres travaux de réseaux.
Les terrasses rue du Chablais devront être démontées pour permettre de garder une voie de circulation pendant la durée des travaux. Des précisions seront apportées aux
commerçants concernant le démontage de leurs terrasses.
Rue du Mont-Blanc :
Des points d’apport volontaire (PAV) seront installés rue du Mont-Blanc et nécessiteront le déplacement de certains réseaux. Les travaux débuteront le 20 janvier et se poursuivront jusqu’à mi-février, puis seront suivis par le dévoiement des réseaux secs pendant environ un mois. A partir du 20 janvier la rue du Mont-Blanc sera à double sens pour que les riverains puissent sortir de cette zone.
La Ville d’Annemasse vous remercie de votre compréhension.
Signalement de coupures internet – quoi faire ?
Information concernant les coupures de réseau
Ces dernières semaines, de nombreux riverains nous ont signalé des coupures répétées de leur connexion internet, perturbant significativement leur quotidien et leurs activités professionnelles. Nous comprenons la gêne occasionnée et tenons à apporter des précisions sur cette situation.
Annemasse Agglo, informée de ces dysfonctionnements, s’est immédiatement saisie du sujet. Ces coupures, survenues sans information préalable aux usagers, ne sont pas acceptables. Nous avons donc formellement interpellé les entreprises et concessionnaires responsables par courrier, leur rappelant leurs obligations d’information et de service envers les usagers.
Il est important de préciser que ces interruptions de service ne relèvent pas de la responsabilité d’Annemasse Agglo. En effet, chaque opérateur et concessionnaire est responsable de son réseau et des éventuelles coupures, qu’elles soient programmées ou accidentelles. Ils ont l’obligation d’informer leurs clients en cas de travaux programmés et de gérer les situations d’urgence sur leurs réseaux.
Rappel, en cas de coupure, comment agir ?
Chaque entreprise est responsable des coupures qu’il occasionne. En cas de nécessité, vous pouvez les contacter directement par téléphone :
Pour les coupures internet et téléphone : contactez directement votre fournisseur (Orange au 3900, SFR, Bouygues…)
Nous restons attentifs à l’évolution de la situation et continuerons d’intervenir auprès des différents acteurs.
Modification de circulation – Deffaugt
Modification de circulation dans le secteur Jean Deffaugt à partir du 6 janvier 2025
Des changements importants de circulation seront mis en place dans le secteur Jean Deffaugt à partir du 6 janvier 2025, dans le cadre des travaux du tramway. Cette phase de travaux, d’une durée de 3 semaines, nécessite une réorganisation temporaire des accès. Les commerces restent ouverts et accessibles pendant toute la durée de l’intervention.
Quels sont les changements de circulation ?
Deux modifications majeures sont à noter :
- La liaison entre la rue du Mont-Blanc et la rue du Faucigny sera temporairement interrompue
- La connexion entre la rue du Faucigny et la rue du Chablais ne sera plus possible
Comment accéder au secteur ?
Pour les riverains :
- L’accès se fera uniquement par la rue du Faucigny
- Cette rue redevient accessible depuis l’avenue Jules Ferry
- Important : il ne sera plus possible d’accéder depuis la rue du Mont-Blanc
Pour faciliter vos déplacements, une signalétique spécifique sera mise en place pour vous guider vers les itinéraires de déviation.
Vos commerces restent accessibles
Tous les commerces du secteur maintiennent leur activité pendant les travaux. Les accès sont préservés pour permettre à la clientèle de continuer à fréquenter leurs commerces habituels.
Intervention de nuit Av. de Verdun
- Fermeture complète de l’Avenue de Verdun
- Nuisances sonores ponctuelles et limitées à la zone d’intervention en cours
Travaux avenue Pasteur 16-17-18 décembre
Dans le cadre du réaménagement du centre-ville, les travaux vont se poursuivre ponctuellement avenue Pasteur.
Avenue Pasteur (entre Commerce et René Blanc):
Le coulage du béton sur l’avenue Pasteur s’effectuera par tronçons durant les matinées
des 16, 17 et 18 décembre, et le lavage de la zone se fera le 19 décembre au matin.
En raison de ces travaux, l’accès au parking souterrain adjacent au restaurant Le Bérénice
sera totalement fermé du 16 au 24 décembre. Les usagers sont invités à déplacer leur
véhicule avant le 16 décembre pour ne pas rester bloqués.
Un camion toupie bloquera l’entrée de l’avenue Pasteur du 16 au 18 décembre, et un temps de séchage du béton sera nécessaire avant la réouverture à la circulation.
Rue des Vétérans :
Du 16 au 18 décembre inclus, les riverains sont invités à entrer et sortir par la rue de la Gare pour se garer dans leurs parkings. L’entrée du côté de l’avenue Pasteur est impossible.
La Ville vous remercie de votre compréhension.
Fermeture temporaire de l’Av. Henri Barbusse
Afin de permettre la réalisation de sondages aux futurs emplacements des mâts qui soutiendrons la ligne aérienne de contact. L’Avenue Henri Barbusse sera fermée à la circulation toute la journée de 8h à 17h le mercredi 18 décembre.
Coupure d’eau 1 et 3 rue du Parc

Avis de coupure d’eau rue de la Gare
Dans le cadre de l’entretien et de la réparation de son réseau d’eau potable, la Direction de l’Eau et de l’Assainissement est contrainte d’effectuer une coupure d’eau potable rue de la Gare, du côté des numéros impairs, le lundi 2 décembre de 13h30 à 17h.
L’eau pouvant être rétablie avant ou après l’heure prévue, les abonnés sont avisés qu’ils doivent prendre les dispositions et précautions d’usage.
Risques pour les abonnés suite à cette intervention :
- Présence passagère d’eau trouble (coloration rouge, légers dépôts…), il faut laisser couler l’eau.
- Présence d’air dans les canalisations pouvant générer des bruits.
Annemasse Agglo vous remercie de votre compréhension et vous prie de bien vouloir l’excuser à l’avance pour la gêne occasionnée.
Risque de perturbation rue de la Gare – rue de Genève et place de l’Hôtel de Ville
Dans le cadre de l’entretien et de la réparation de son réseau d’eau potable, la Direction de l’Eau et de l’Assainissement est contrainte d’effectuer des tests sur des vannes, le dimanche 1er décembre, de 13h30 à 18h30, rue de la Gare, rue de Genève et place de l’Hôtel de Ville.
Suite à cette intervention, les abonnés peuvent voir une présence passagère d’eau trouble ou une présence d’air dans les canalisations.
Annemasse Agglo vous remercie de votre compréhension et vous prie de vouloir l’excuser à l’avance pour la gêne occasionnée.
Accès fermé : carrefour Pasteur/Commerce/Vétérans
Depuis le 4 novembre la pose des pavés rue du Commerce a débuté par l’intérieur de la future fontaine, ils sont posés actuellement sur la partie « voirie » du côté du Globe.
A partir du vendredi 22 novembre, les chanfreins en enrobés sont enlevés pour permettre la pose du dallage à partir de lundi 25 novembre. Le carrefour Commerce/Pasteur/Vétérans sera fermé à la circulation dès ce vendredi, pour environ 2 semaines.
Pour les riverains, l’entrée/sortie place de l’Hôtel de Ville se fera par l’accès côté Taverne de Maître Kanter en aller/retour.
L’entrée/sortie à la rue des Vétérans devra se faire par la rue de la Gare, avec la borne mise en position basse.
Mise à sens unique de l’avenue Ferry
En raison des travaux de piétonnisation de plusieurs rues du centre-ville, du prolongement de la ligne de Tram et de l’extension du réseau de chaleur, l’avenue Jules Ferry sera à sens unique du 5 au 8 novembre 2024, entre la rue Madame Fleutet et l’avenue Pasteur, en sens Nord -> Sud.
Pour les riverains possédant un parking privatif dont l’accès sera rendu impossible durant les travaux rues René Blanc et Paul Bert, la Ville prendra en charge le coût du stationnement dans un parking public jusqu’à la réouverture de la circulation.
Vous êtes invités à vous rendre à l’accueil de la mairie avec vos justificatifs* dès que possible. Attention, il faut compter 4 jours minimum après votre enregistrement pour obtenir un badge SAGS.
- *Les justificatifs à apporter en mairie :
D’un justificatif de domicile (facture eau/EDF…)
D’un élément établissant que vous disposez d’un emplacement de stationnement
De la carte grise du (des) véhicule(s) concernés. - Les pièces justificatives seront demandées uniquement aux riverains concernés qui ne se sont pas encore enregistrés auprès de la Mairie.
La Ville vous remercie de votre compréhension.

Déplacement point de collecte – Rue René Blanc
A partir de jeudi 31 octobre, votre point de collecte sera provisoirement déplacé place Jean Deffaugt pendant la durée des travaux (voir plan ci-dessous).

Travaux rue du Commerce novembre 2024
Les travaux rue du Commerce à venir fin octobre et début novembre 2024 (planning qui peut évoluer selon les aléas du chantier) :
A venir d’ici fin octobre :
- Pose de bordures en acier autour des futurs arbres (fait en grande partie – des reprises et finitions la semaine prochaine)
- Finition du terrassement au nord de la rue, en limite du chantier Tram de la place Deffaugt
- Mise en place des candélabres et éclairage en façade fin octobre, début novembre.
A partir du 4 novembre 2024 :
- Démarrage de la pose des dallages par la fontaine puis par la voie du côté du restaurant du Globe.
- L’ordre de pose des dalles reste à confirmer. Ils devraient commencer par la fontaine, puis par la voie côté Globe pour 2 semaines.
- Date à confirmer pour la fermeture du carrefour et l’accès à Vétérans en aller/retour
- Livraison des végétaux le 14 novembre, plantation définitive à partir du 18 novembre.
L’accès à la rue du Commerce pourra se faire à compter du 30 septembre par la rue des Vétérans depuis la rue de la Gare (par lecture de plaque ou bouton livraison 7h/11h), pour le cabinet paramédical uniquement. L’accès par Pasteur ne sera plus possible pendant les travaux.
Les livraisons pourront accéder par la rue des Vétérans et ressortir côté place de l’hôtel de ville.
Les riverains bénéficient d’une offre de stationnement dans un parking public.
DATE REPORTEE Fermeture temporaire de la rue du Parc
En raison de la défaillance d’un prestataire, les travaux initialement prévus le 20 novembre sont reportés au mercredi 27 novembre. La rue du Parc sera donc fermée à la circulation ce jour-là, de 9h à 16h, pour permettre l’installation d’un regard déporté.
Qu’est-ce qu’un regard déporté ?
Il s’agit d’un dispositif essentiel permettant d’intervenir sur les réseaux souterrains situés sous la plateforme du tram, lorsque ces réseaux n’ont pas pu être dévoyés. Son installation nécessite l’utilisation d’équipements lourds (grue, camions), rendant temporairement impossible la circulation dans la rue.
Impacts et dispositions maintenues pour le 27 novembre :
- Fermeture de la rue du Parc à la circulation automobile depuis la rue du Baron de Loë
- Accès et sortie des parkings privatifs temporairement impossibles
- Parking Hôtel de ville Montessuit uniquement accessible par la rue Camps, sauf entre 9h et 11h où l’accès sera totalement impossible
Circulation piétonne :
Les piétons seront temporairement orientés dans le parc Montessuit au niveau de l’arrêt de
tram, avec une signalétique adaptée pour les guider.
Nous présentons nos excuses pour ce report et les désagréments qu’il peut occasionner. Les riverains qui pourraient se trouver bloqués lors de cette intervention sont invités à nous contacter au 04 85 22 00 02 ou par email à contact@tram-pietonnisation.fr avant le 22 novembre, afin qu’une solution adaptée puisse leur être proposée.
Travaux rues René Blanc et Paul Bert
Dans le cadre des travaux de piétonnisation, l’accès aux riverains du Nord de la rue René Blanc ne sera plus possible en voitures à compter du 04 Novembre 2024 (riverains concernés : entre la rue du Faucigny et la rue Paul Bert uniquement). Egalement concernés, les riverains situés au bout de la rue Paul Bert (côté av. Jules Ferry).
La date précise du rétablissement des accès à vos parkings privés vous sera communiquée ultérieurement.
Pour les riverains possédant un parking privatif dont l’accès sera rendu impossible, la Mairie prendra en charge le coût du stationnement dans un parking public jusqu’à la réouverture de la circulation.
Pour bénéficier de ces droits d’accès, les usagers concernés sont invités à nous transmettre dès maintenant les justificatifs par mail : contact@tram-pietonnisation.fr ou se rendre à la mairie munis* :
– D’un justificatif d’identité,
– D’un justificatif de domicile (facture eau/EDF…)
– D’un élément établissant que vous disposez d’un emplacement de stationnement
– De la carte grise du (des) véhicule(s) concernés.
*les pièces justificatives seront demandées uniquement aux riverains concernés qui ne se sont pas encore enregistrés auprès de la Mairie.
Attention : il faut compter environ 4 jours MINIMUM après enregistrement, pour obtenir un badge SAGS. Alors, n’attendez pas.
Coupure d’eau 16 rue de la Gare
Intervention de nuit carrefours Faucigny-Ferry et Etoile-Briand
Intervention de nuit mercredi 16 octobre de 20h à 6h
Nous vous informons que des travaux de réfection de la chaussée auront lieu au carrefour rue du Faucigny – Av. Jules Ferry et au niveau du rond point de l’Etoile – rue Aristide Briand (en jaune ci-dessous sur le plan) dans la nuit du mercredi 16 au jeudi 17, de 20h à 6h du matin. Ces travaux consistent en une reprise de la chaussée actuellement en mauvais état, visant à améliorer la sécurité de circulation sur cet axe. Ces opérations seront susceptibles de générer des nuisances sonores dues à la mise en œuvre des enrobés et à la circulation des camions.

Annemasse Agglo met tout en œuvre pour limiter les désagréments et compte sur votre compréhension pour cette intervention nécessaire.
Mise à double sens de la rue Camps
La mise à double sens de la rue Camps interviendra à partir du 21 octobre 2024 et de manière définitive. Cette mise à double sens permettra aux automobilistes de rejoindre le parking Montessuit/Hôtel de Ville depuis l’avenue Emile Zola en provenance du Nord de la Ville (Pôle d’Echange Multimodal) et du Sud (rue de Genève).
Les modifications à venir :
Cette modification se fera donc à partir du lundi 21 octobre en anticipation des travaux (en cours) et de la mise en service de la prolongation du Tramway rue du Parc, qui impliquera la suppression de l’accès au parking Montessuit/Hôtel de Ville depuis la rue de la Gare. L’accès direct au parking depuis la rue du Parc reste maintenu.
A noter que le stationnement de rue compris entre les rues Zola et Coquand sera supprimé. Celui compris entre les rues du Dr Coquand et du Parc est maintenu.

Coupure d’eau rue du Parc

Accès parking privatif impossible – Rue du Commerce
Dans le cadre des travaux de piétonnisation, l’accès aux riverains de la rue du Commerce ne sera plus possible.
- D’un justificatif d’identité,
- D’un justificatif de domicile (facture eau/EDF…)
- D’un élément établissant que vous disposez d’un emplacement de stationnement uniquement accessible depuis la rue des Vétérans (bail, quittance de loyer…)
- De la carte grise du (des) véhicule(s) concernés
Infos stationnement :
- Pour la semaine du 23 septembre : des tickets «congrès» SAGS vous permettront de vous stationner au parking Place des Marchés provisoirement le temps que la Mairie mette en place les badges mensuels.
- A partir du 30 septembre au plus tard : des badges mensuels vous seront ensuite attribués pour stationner au parking Montessuit. Il conviendra de vous présenter une nouvelle fois à l’accueil de la Mairie pour obtenir votre badges à partir du jeudi 26 septembre.
Changement de collecte des déchets rue et av. de la Gare
La collecte des déchets en pied d’immeubles s’arrête définitivement le 23 septembre 2024 sur la rue et l’avenue de la Gare (jusqu’à l’intersection avec la rue du Mont-Blanc).
En raison des travaux de la piétonnisation, le camion de collecte ne passera plus récupérer les bacs en pied d’immeuble (zone en bleu sur la carte ci-dessous) Des conteneurs collectifs sont installés pour que les habitants apportent leurs déchets. Les dernières collectes auront lieu aux horaires habituels le lundi 23 septembre (pour les ordures ménagères) et le mardi 24 septembre (pour le tri). Des conteneurs collectifs enterrés seront installés à la fin des travaux.


Installation d’une zone provisoire de stockage
Démarrage des travaux de voirie plateforme et voie ferrée
À partir de mi-septembre, une nouvelle étape des travaux débutera à partir du futur terminus (avenue de Verdun et avenue H. Barbusse) avec la réalisation des travaux de voirie, plateforme et voie ferrée. Pour cela, une zone de stockage provisoire sera prochainement installée (voir plan ci-dessous) jusqu’à fin décembre 2025. La zone de stockage (en jaune) se trouve à l’angle de l’av. de Verdun et l’av. Lucie Aubrac.

Coupure d’eau Rue Malbrande

Modification sens de circulation Rue Malbrande
A partir du lundi 2 septembre,
le sens de circulation de la rue Malbrande sera inversé. Vous trouverez le plan avec les sens de circulation ci-dessous.
L’accès s’effectuera côté Av. Henri Barbusse pour ressortir Route des Vallées.

Coupure d’eau rue du Stade Albert Baud

Travaux avenue et rue de la Gare
Dans le cadre du réaménagement du centre-ville, les travaux de réseaux vont débuter rue et avenue de la Gare. A terme, ces deux rues deviendront des zones de rencontre, avec une vitesse des voitures limitée à 20km/h et la priorité des piétons et des cycles sur les véhicules.
Rue de la Gare :
A partir du 9 septembre 2024, les travaux des réseaux humides (eau) vont débuter dans la portion entre la place de la Poste et la rue des Vétérans. A partir de janvier 2025 l’ensemble de la rue sera en travaux avec le démarrage des travaux pour les réseaux humides entre la rue des Vétérans et la rue de Genève. Les travaux des réseaux secs (gaz, électricité…) démarreront quant à eux entre la place de la Poste, et la rue des Vétérans. Les travaux devraient se terminer d’ici juin 2025 pour la partie dévoiement de réseaux. Ils seront suivis par les travaux d’aménagement de voirie.
Les accès des riverains et les livraisons sont maintenus, sauf durant quelques périodes identifiées qui feront l’objet d’une communication spécifique.
Avenue de la Gare :
A partir du 16 septembre 2024, les travaux pour la rénovation et le dévoiement des réseaux humides vont démarrer au croisement avec la rue du Mont-Blanc. Ils devraient durer 1 mois et demi suivant l’avancée du chantier. A partir du 11 octobre, les travaux pour les réseaux secs prendront le relais. A partir de janvier et jusque fin mars 2025, les travaux pour les réseaux humides devraient reprendre.
Pour la rue et l’avenue de la Gare :
La circulation générale (hors riverains, livraisons et accès chantiers) sera déviée en amont. A noter que des coupures d’eau, de gaz ou d’éléctricité peuvent survenir temporairement. Les concessionnaires vous informeront en amont des coupures.
Plan de déviation à partir du 9 septembre 2024

Consciente des désagréments occasionnés, la Ville d’Annemasse vous remercie de votre compréhension.
Déplacement point de collecte des bacs d’ordures ménagères
Dans le cadre des travaux de réseaux liés au projet du tram, les camions de collecte des ordures ménagères ne pourrons plus accéder à la rue Joseph Cursat à partir du 12 août jusqu’au 20 septembre. Nous vous proposons un nouveau point de collecte sur la rue du Parc selon le plan ci-dessous :

Accès perturbé parking souterrain 7 rue Malbrande
Dans le cadre des travaux de réseaux liés au projet du tram, l’accès au parking souterrain au niveau du 7 rue Malbrande sera perturbé du lundi 19 au merci 21 août.
L’entreprise en charge des travaux veillera a maintenir l’accès au parking le plus possible en positionnant des plaques. Cependant, l’accès pourra être perturbé ponctuellement pendant les horaires de chantier de 7h30 à 12h puis de 13h à 17h30 générant une perte d’accès temporaire.
Nous nous excusons pour la gêne occasionnée et vous remercions pour votre compréhension.
Travaux piétonnisation septembre 2024
Zoom sur les travaux du réaménagement du centre-ville d’Annemasse
Dans le cadre du réaménagement du centre-ville, les travaux vont reprendre dès le 26 août 2024. Plusieurs rues sont concernées par des travaux de réseaux ainsi que des travaux de piétonnisation.
Cabinet médical et paramédical rue du Commerce :
L’accès en véhicule à l’impasse du cabinet ne sera pas possible du 26 au 28 août en raison de la reprise des terrassements. L’accès aux piétons est bien maintenu.
Avenue Pasteur (entre les rues du Commerce et Blanc) :
Du 9 au 20 septembre, la Direction de l’Eau et de l’assainissement a prévu une intervention de réhabilitation sans tranchées pour rénover les réseaux d’eau. Les travaux de piétonnisation devraient débuter fin septembre, les terrasses provisoires devront être démontées le dimanche 22 septembre au soir. La Ville procédera à l’enlèvement des mobiliers mis à disposition le 23 septembre. La confirmation de la date sera donnée début septembre selon l’avancement sur la rue du Commerce.
Avenue Pasteur (entre les rues Blanc et Ferry) :
Du 26 août au 20 septembre, le dévoiement des réseaux humides pour la mise en place ultérieure des points d’apport volontaire est prévu. L’accès se fera en une seule voie de circulation depuis l’avenue Ferry. Des modifications de circulation pourront avoir lieu selon l’avancement du chantier.
Carrefour Vétérans/ Commerce/ Pasteur :
Du 9 au 20 septembre, ce carrefour sera fermé à la circulation automobile (terrassement et enrobé en cours, ce qui ne permettra pas le passage des véhicules). Ces dates sont soumises aux aléas du chantier et reconfirmées après reprise des travaux dans la rue du Commerce.
Rue et avenue de la Gare :
Les travaux de dévoiement de réseaux de la rue et avenue de la Gare vont démarrer le 9 septembre jusque fin mars pour l’avenue de la Gare et mi-avril pour la rue de la Gare. Un plan de déviation et des informations complémentaires seront bientôt disponibles.
Rues René Blanc et Paul Bert :
A partir du 2 septembre 2024 et durant 2 mois, des travaux de dévoiement de réseaux vont reprendre (Enedis, GrDF, Telecom) dans ces deux rues. Un branchement au réseau de chaleur est également prévu rue Paul Bert. A partir du mois de novembre les travaux de voirie prendront le relai pour piétonniser les rues. Durant les travaux de réseaux, l’accès est maintenu pour les riverains. Les modalités d’accès pour les travaux de piétonnisation seront données ultérieurement.
Rue des Vétérans :
A noter pour les riverains de la rue des Vétérans que du 9 au 20 septembre l’entrée et la sortie de la rue devront se faire par la rue de la Gare, la borne sera laissée en position basse.
Le planning est soumis aux aléas de chantier, merci de votre compréhension.
Fermeture à la circulation rue du Parc à partir de la rue Camps
Dans le cadre des travaux des réseaux souterrains, la rue du Parc sera barrée à partir de l’intersection avec la Rue Camps. L’accès aux riverains sera maintenu pendant la durée des travaux. Les commerces restent ouverts et accessibles.

Accès riverains pendant les travaux :
Rue Joseph Cursat : accessible par la rue du Parc, des plaques seront installées pour vous permettre l’accès. La sortie se fera par la rue Camps.
Rue Adrien Ligué : accessible par la rue de la Gare.
Le point sur les circulations :
- La rue Camps sera à sens unique du sens Rue du Parc vers l’Avenue Emile Zola.
- La rue du Parc retrouvera une circulation uniquement descendante de la rue de la Gare à la rue Adrien Ligué.
- La sortie de la Rue du Dr Coquand, se fera uniquement à droite, vers l’Av. Emile Zola.
Circulation modifiée Rue Malbrande
Dans le cadre des travaux de dévoiement des réseaux souterrain sur le projet du tram, la circulation rue Malbrande va être modifiée.
A partir du 29 juillet jusqu’au 19 août
La sortie de la rue Malbrande est possible par le Parking de la Maison des Sports. (voir plan ci-dessous)

Du 19 au 23 août
La rue Malbrande est mise en impasse et à double sens. L’entrée et la sortie se fait uniquement par la route des Vallées

A partir du 24 août
La rue Malbrande est mise en sens unique, dans le sens montant de l’avenue Henri Barbusse vers la route des Vallées

Travaux rue du Commerce – canicule
En raison de l’alerte orange canicule, les travaux de piétonnisation de la rue du Commerce démarreront à 6h du matin le mardi 30 et mercredi 31 juillet 2024.
La Ville vous remercie de votre compréhension.
Informations travaux – semaine 29 juillet 2024
Les informations travaux concernant la semaine du 29 juillet au 04 août 2024
Circulation générale :
- Rue Aristide Briand : Ouverte à double sens.
- Rue du Beulet : La traversée Est/Ouest du carrefour du Beulet n’est plus circulable. Une déviation est mise en place par la rue du Stade A. Baud.
- Rue du Stade Albert Baud : ouverte à double sens.
- Avenue Jules Ferry : ouverte à double sens.
- Rue Malbrande : mise en impasse, les véhicules légers doivent ressortirent par le parking de l’OMS. Les poids lourds sont interdits.
Accès riverains :
-
- Les riverains de la rue René Blanc doivent accéder par le Nord de Jules Ferry, puis la rue du Faucigny, et sortent par l’avenue Pasteur.
- Les riverains de la rue Paul Bert accèdent et sortent par l’avenue Jules Ferry.
- Les résidents de la copropriété du Président (8 rue du Faucigny) accèdent par l’avenue Jules Ferry puis la rue du Faucigny, et doivent ressortir par la rue René Blanc.
- Les riverains de la rue du Commerce et la rue des Vétérans peuvent accéder :
- par le Nord de Jules Ferry, puis la rue du Faucigny, la rue Blanc et enfin l’avenue Pasteur.
- par le Sud de Jules Ferry, puis l’avenue Pasteur. Les riverains de ces rues doivent sortir de la zone par l’Avenue Pasteur puis l’avenue Ferry. Une sortie secondaire est tout de même maintenue par la Place de l’Hôtel de Ville.
Travaux avenue Pasteur – juillet – septembre 2024
Avenue Pasteur (au droit des PAV place Libération) :
–Du 29 juillet à début septembre (avec une interruption de 2 semaines pour congés de l’entreprise) : travaux de dévoiement des réseaux d’assainissement et d’eau potable en prévision de la future implantation définitive des PAV enterrés. La circulation sera maintenue au droit des travaux la plupart du temps mais pourra être déviée par les rues Bert et Blanc ponctuellement (dépendra des positions des réseaux souterrains).
Avenue Pasteur (entre Commerce et René Blanc) :
-La Maison de l’eau a prévu une intervention de réhabilitation sans tranchées du 9 au 20 septembre.
-Les travaux de piétonnisation vont normalement démarrer le 23 septembre. Les terrasses provisoires devront être démontées le dimanche 22 septembre au soir. La Ville procédera à l’enlèvement des mobiliers mis à disposition le 23 septembre matin. La confirmation de la date sera donnée début septembre selon l’avancement sur la rue du Commerce.
Travaux avenue Pasteur juillet-août 2024
Du 25 juillet à fin août (avec une interruption de 2 semaines pour les congés de l’entreprise) : travaux de dévoiement des réseaux d’assainissement et d’eau potable en prévision de la future implantation définitive des PAV enterrés.
La circulation sera maintenue au droit des travaux de la plupart du temps mais pourra être déviée par les rues Bert et Blanc ponctuellement (dépendra des positions des réseaux souterrains).
Les PAV temporaires aériens seront maintenus en service dans la rue, mais décalés un peu plus loin vers l’avenue Ferry.
Travaux rue du Commerce – juillet 2024
Les travaux dans la rue du Commerce avancent, voici les prochaines dates à retenir :
- La semaine du 22 juillet : la fin et les mises à la côte des réseaux de la fontaine
- Du 29 au 31 juillet : mise en place de 2 couches d’enrobés de structure (il s’agit de la sous-couche des futurs dallages de la rue) sur le côté ouest de la rue (jusqu’en pied de façade). Dans ces conditions, l’accès des riverains à leurs domiciles sera restreint en journée, mais rétabli chaque soir par l’entreprise. Les ouvriers pourront vous aider à passer en journée suivant l’avancée du chantier. A noter que durant ces 3 jours, il sera impossible aux personnes ayant une place de stationnement privative de rentrer avec leurs véhicules, entre l’opticien Lissac et le magasin La Canadienne, et entre Tally Weilj et Yves Rocher. Pour les riverains disposant d’une place de stationnement sur la zone fermée ces 3 jours, vous pourrez utiliser un ticket de stationnement pour pouvoir vous garer place des Marchés, du 29 au 31 juillet. Vous pouvez récupérer ce ticket de stationnement à partir du lundi 22 juillet à l’accueil de la mairie, avec un justificatif de domicile et une preuve de l’existence de votre place de stationnement.
- Une attention particulière a été demandée aux entreprises pour le 1er août, fête nationale suisse, afin de maintenir les chantiers propres et les accès aux commerces soignés.
Consciente des désagréments occasionnés, la Ville d’Annemasse vous remercie de votre compréhension.
Coupure d’eau Rue du Mont-Blanc

Coupures d’électricité rue de la Gare
Dans le cadre des travaux du tram, des coupures d’électricité sont prévues
Le lundi 29 juillet de 5h à 8h30 au niveau du :
- 10 rue de la Gare
- 11 rue de la Gare
- 12 rue de la Gare
- 14 rue de la Gare
- 16 rue de la Gare
Coupures d’électricité Rue du Commerce – Rue des Voirons
Dans le cadre des travaux du tram, des coupures d’électricité sont prévues :
Le lundi 15 Juillet de 7h30 à 10h00
- 15 Rue du Commerce
- 7 rue des Voirons
- 9 rue des Voirons
Le lundi 15 Juillet de 7h30 à 12h00
- 5 rue des Voirons
- 6 rue des Voirons
- 8 rue des Voirons
- 10 rue des Voirons
Coupures de gaz Rue des Voirons
Dans le cadre des travaux du tram, des coupures de gaz sont prévues les 19 juillet et 22 juillet de 9h à 16h rue des Voirons
Coupure d’eau Rue du Faucigny

Accès riverains modifié Impasse du Faucigny
Dans le cadre de la réalisation des travaux de réseaux, l’accès à l’impasse du Faucigny pour les riverains se fera par la rue Madame Fleutet.

Nous vous remercions de votre compréhension et vous prions de nous excuser pour la gêne occasionnée.
Coupure d’eau Rue des Platanes

Accès bornes rue des Vétérans
La fin des travaux rue des Vétérans et place Jean-Jacques Rousseau est prévue pour début juillet.
Programmation des derniers travaux :
– La semaine du 1er juillet, pose du mobilier urbain.
– A partir du 8 juillet, la Ville va végétaliser une partie de la place, en attendant la plantation des arbres à l’automne (période plus propice aux plantations).
– Le 8 et le 9 juillet, intervention sur les bornes d’accès rue des Vétérans pour connecter la fibre optique.
L’accès des riverains à partir du 9 juillet :
Dans un premier temps, l’accès via les bornes d’accès se fera avec le bouton livraison (24h/24), puis l’ouverture se fera via lecture automatisée de plaque d’immatriculation dès le paramétrage complet du contrôle d’accès. Vous ne pourrez pas rentrer avec votre véhicule en dehors des heures de livraison (7h-11h) si vous n’avez pas fourni votre numéro de plaque d’immatriculation en mairie, et récupéré un macaron.
Coupure d’eau
Dans le cadre des travaux de dévoiement du réseau d’eau potable, le service de l’Eau et de l’Assainissement d’Annemasse Agglo est contraint d’effectuer une coupure d’eau potable mercredi 03/06/24 de 08h30 à 17h00 :
- Rue du Mont Blanc
- Rue du Chablais
- Place Jean Deffaugt
L’eau pouvant être rétablie avant ou après l’heure prévue, les abonnés sont avisés qu’ils doivent prendre les dispositions et précautions d’usage. Annemasse Agglo vous remercie de votre compréhension et vous prie de bien vouloir l’excuser à l’avance pour la gêne occasionnée.
En cas d’aléa lié à la météo ou au chantier, la coupure d’eau pourra être annulée et reprogrammée. Dans ce cas vous serez prévenus 48h avant.
Coupures d’électricité rue de la Gare
Dans le cadre des travaux du tram, une coupure d’électricité est prévue le lundi 8 juillet de 8h30 à 15h :
- 15 rue de la Gare (Crédit Agricole des savoies)
Le 8 juillet, de 8h30 à 11h
- 16 rue de la Gare
Coupures d’électricité dans plusieurs rues
Dans le cadre des travaux du tram et de la piétonnisation des coupures d’électricité sont prévues :
1 Juillet : de 7h30 à 12h00 (TRAM)
- 15 Rue du Commerce
- 5-6-8-9-10 Rue des Voirons
- 1-3 Place Deffaugt
1 Juillet : de 7h30 à 12h00 (PIETO)
- 13 Rue Du Commerce
- 2- 4- 6- 8 Place JJ ROUSSEAU (Rue des Vétérans)
- 3- 7- 8- 9- 10- 11- 14- 16 Rue du Commerce
La Ville d’Annemasse et Annemasse Agglo s’excusent pour la gêne occasionnée.
Travaux rue Bastin
À noter que les mardis et vendredis, jours de marché, les riverains ne pourront pas entrer/ sortir en voiture dans la voie piétonne le long de la place Libération, de 6h à 14h30.
Le parking place des Marchés est quant à lui gratuit de 20h à 8h.
Les accès riverains durant ces travaux :
Vous devez obligatoirement disposer d’un nouveau macaron distribué par la mairie ainsi que d’un disque bleu, pour pénétrer sur la zone piétonne actuelle et en travaux.
Vous pouvez stationner 20 minutes maximum hors zones de chantier, pour déposer une personne ou des courses grâce au macaron et au disque bleu. La nouvelle borne qui sera mise en place fonctionnera par lecture de plaque. Pour pouvoir accéder à partir de la réouverture, vous devez obligatoirement être passés en mairie pour donner votre numéro de plaque d’immatriculation. Les personnes rentrant sur l’aire sans macaron pourront être verbalisées.
Le Ville d’Annemasse met tout en œuvre pour améliorer votre cadre de vie et vous remercie de votre compréhension.
Coupure d’eau Rue des Voirons (côté impaire)
Dans le cadre des travaux de dévoiement des réseaux humides sur le projet du tram, une coupure d’eau doit être réalisée la semaine prochaine.
Mardi 2 juillet : 08h30 à 17h00 Rue des Voirons n°1, 3, 5, 7, 11
Pour plus de précisions, vous trouverez ci-dessous le plan du secteur concerné (bâtiments en jaune) et en pièce jointe l’avis de coupure qui sera déposé mardi 25 juin.

Lorsque l’eau est rétablie, les abonnés sont avisés qu’ils doivent prendre les précautions d’usage.
A la suite de cette intervention :
- Présence passagère d’eau trouble
- Présence possible d’air dans les canalisations
Le service d’eau d’Annemasse Agglo vous remercie de votre compréhension et vous prie de l’excuser pour la gêne occasionnée.
Coupure d’eau Rue des Voirons (côté paire)
Dans le cadre des travaux de dévoiement des réseaux humides sur le projet du tram, une coupure d’eau doit être réalisée la semaine prochaine.
Lundi 1er juillet : 08h30 à 17h00 Rue des Voirons n°2a, 4, 6, 8 et 10
Pour plus de précisions, vous trouverez ci-dessous le plan du secteur concerné (bâtiments en jaune) et en pièce jointe l’avis de coupure qui sera déposé lundi 24 juin.

Lorsque l’eau est rétablie, les abonnés sont avisés qu’ils doivent prendre les précautions d’usage.
A la suite de cette intervention :
- Présence passagère d’eau trouble
- Présence possible d’air dans les canalisations
Le service d’eau d’Annemasse Agglo vous remercie de votre compréhension et vous prie de l’excuser pour la gêne occasionnée.
Coupure d’eau Rue Aristide Briand
Dans le cadre des travaux de dévoiement des réseaux humides sur le projet du tram, une coupure d’eau dot être réalisée la semaine prochaine.
Mercredi 26/06/24 : 08h30 à 17h00 Rue Aristide Briand
Pour plus de précisions, vous trouverez ci dessous le plan du secteur concerné (bâtiments en jaune) et en pièce jointe l’avis de coupure qui sera déposé mercredi 19/06/24.

Lorsque l’eau est rétablie, les abonnés sont avisés qu’ils doivent prendre les précautions d’usage.
A la suite de cette intervention :
- Présence passagère d’eau trouble
- Présence possible d’air dans les canalisations
Le service d’eau d’Annemasse Agglo vous remercie de votre compréhension et vous prie de l’excuser pour la gêne occasionnée.
Fermeture à la circulation rue du Mont-Blanc et rue du Chablais
Dans le cadre des travaux des réseaux souterrains, la liaison entre la rue du Mont-Blanc et la rue du Chablais ne sera plus possible à partir du 17 juin pour une durée de 3 semaines. Les commerces restent ouverts et accessibles.
Pendant la durée des travaux, l’accès aux riverains est maintenu.
Par la rue Adolphe Magnin pour l’accès à la rue du Chablais et par l’avenue de la gare pour la rue du Mont-Blanc (voir plan ci-dessous)

Coupure d’eau lundi 10 juin 2024
Coupure d’eau prévue lundi 10 juin de 8h30 à 17h rue René Blanc, rue Paul Bert, n°12-14 rue du Faucigny et n° 15-17 avenue Pasteur.
Dans le cadre des travaux de réfection du réseau d’eau potable, le service Eau et Assainissement d’Annemasse Agglo effectue une coupure d’eau.
Lorsque l’eau est rétablie, les abonnés sont avisés qu’ils doivent prendre les dispositions et précautions d’usage.
A la suite de cette intervention :
Présence passagère d’eau trouble
Présence possible d’air dans les conduites
Plus d’informations en contactant la Maison de l’Eau : 04 50 87 62 73
Plan de circulation semaine du 3 au 9 juin
Dans le cadre des travaux du Tram et de la piétonnisation, la circulation change.
Veuillez trouver le plan de circulation pour la semaine du 3 au 9 juin 2024. Vous pouvez également utiliser les applications Waze ou Google Maps pour connaitre le meilleur itinéraire.

Travaux rues René Blanc et Paul Bert – juin 2024
Les travaux de réseaux humides au croisement des rues René Blanc et Paul Bert, débuteront à partir du lundi 3 juin jusque fin juillet 2024. Une coupure d’eau est prévue le lundi 10 juin.
La rue Paul Bert sera aussi en travaux avec la rue barrée, mais avec le maintien des accès aux copropriétés pour les riverains. Les riverains devront accéder par l’avenue Jules Ferry, ou, par la rue du Faucigny puis la rue René Blanc.
Les riverains de la rue René Blanc doivent accéder par le nord de la rue Jules Ferry, puis par la rue du Faucigny.
La Ville d’Annemasse vous remercie de votre compréhension.
Coupure d’eau Rue du stade Albert Baud
Dans le cadre des travaux de dévoiement des réseaux humides sur le projet du tram, une coupure d’eau doit être réalisée la semaine prochaine.
Mardi 28 mai 2024 : Rue du stade Albert Baud de 8h30 à 16h
Pour plus de précisions, vous trouverez ci dessous le plan du secteur concerné (bâtiments en jaune) et en pièce jointe l’avis de coupure qui sera déposé vendredi 24/05/24.

Lorsque l’eau est rétablie, les abonnés sont avisés qu’ils doivent prendre les précautions d’usage.
A la suite de cette intervention :
- Présence passagère d’eau trouble
- Présence possible d’air dans les canalisations
Le service d’eau d’Annemasse Agglo vous remercie de votre compréhension et vous prie de l’excuser pour la gêne occasionnée.
Accès rue des Vétérans
Dans le cadre des travaux de piétonnisation de la rue des Vétérans et du coulage de béton côté rue de la Gare, l’accès aux véhicules des riverains du 1 rue des Vétérans pourra rouvrir le 17 juin 2024, suivant les aléas de chantier.
L’accès en véhicule léger pour la partie déjà réalisée (accès au 3 rue des Vétérans et parking souterrain) est quant à lui possible dès à présent, depuis la rue du Commerce.
La fin des travaux de la place Rousseau et de la rue des Vétérans est prévue pour mi-juin 2024, il restera la fontaine en travaux et la plantation des arbres prévue à l’automne. Un temps convivial pour inaugurer cette première partie du projet aura lieu le vendredi 12 juillet 2024 !
La Ville vous remercie de votre compréhension.
Coupure d’eau Avenue Barbusse et Avenue Aristide Briand
Dans le cadre des travaux de dévoiement des réseaux humides sur le projet du tram, une coupure d’eau doit être réalisée la semaine prochaine.
Lundi 27 mai 2024 : Avenue Barbusse et Aristide Briand de 08h30 à 17h00
Pour plus de précisions, vous trouverez ci dessous le plan du secteur concerné (bâtiments en jaune) et en pièce jointe l’avis de coupure qui sera déposé vendredi 17/05/24.

Lorsque l’eau est rétablie, les abonnés sont avisés qu’ils doivent prendre les précautions d’usage.
A la suite de cette intervention :
- Présence passagère d’eau trouble
- Présence possible d’air dans les canalisations
Le service d’eau d’Annemasse Agglo vous remercie de votre compréhension et vous prie de l’excuser pour la gêne occasionnée.
Accès riverains 1 rue du Faucigny
- Du 13 Mai au 17 Mai : travaux de terrassement devant le parking : passage possible à toute heure ;
- Du 27 Mai au 07 Juin : travaux de pose du réseau devant le parking : passage sur des horaires définies : avant 8h30, entre 12h00 et 13h00, et après 16h30.
Nous vous remercions de votre compréhension et vous prions de nous excuser pour la gène occasionnée.
Circulation rue Aristide Briand
La Rue Aristide Briand est fermée à la circulation au niveau de la Place de L’Etoile depuis le 13/05.
A partir du lundi 3 juin et jusqu’au 24 juin, la rue Aristide Briand sera à sens unique descendant (Carrefour de l’Etoile vers l’Avenue Jules Ferry).
L’accès riverains se fera par la Rue Pasteur et la sortie se fera uniquement par la Rue Beulet.
Quel est le meilleur itinéraire pour circuler dans ce secteur ?
Travaux rue du Commerce mai 2024
Les travaux de piétonnisation démarrent la semaine du 29 avril dans la rue du Commerce (installation du chantier, sondages…)
La semaine du 6 mai sera non travaillée.
Les travaux reprendront à partir du 27 mai par le terrassement de la rue et des travaux concernant les réseaux secs, c’est à dire l’éclairage public, (au droit de la façade des commerçants du côté du restaurant le Globe).
Sur la rue des Voirons et l’intersection avec le nord de la rue du Commerce, une fouille avec mise en place de blindages va être réalisée entre le 29 avril et mi mai pour les réseaux du Tram.
Des travaux pour les branchements d’eau vont également être réalisés mi mai sur le nord de la rue du Commerce.
Soucieuses de faciliter le quotidien des usagers, les entreprises des travaux de réseaux du Tram ouvriront le passage piéton le long d’Okaidi les soirs et Week-end jusqu’au 12 mai inclus. A partir du 13 mai, et ce pendant environ 3 semaines, fermeture totale de ce passage, mais vous pourrez passer rue des Voirons, notamment pour aller chez vos commerçants depuis la rue de la Gare, et en faisant le tour de la place Deffaugt et en passant devant la boulangerie Etienne.
Nous vous remercions de votre compréhension et vous prions de nous excuser pour la gêne occasionnée.
Travaux rue Paul Bert
Dans le cadre de la piétonnisation de la rue Paul Bert, des travaux concernant le réseau de chaleur vont avoir lieu prochainement, pour une durée d’1 mois. Cette intervention a pour but d’étendre le réseau de chaleur urbain, et donc de raccorder de nouveaux abonnés.
Durant cette période de travaux d’extension du réseau de chaleur :
- La rue Paul Bert sera fermée à la circulation automobile, mais l’accès aux parkings souterrains sera maintenu pour les riverains.
- L’entrée sur Paul Bert devra se faire via l’avenue Jules Ferry en aller-retour.
- L’accès pourra évoluer selon l’avancement du chantier.
D’autres travaux de réseaux seront programmés après cette intervention :
- Travaux de réseaux d’eau du 3 juin 2024 à mi-juillet 2024.
- Travaux ENEDIS et GRDF à partir de septembre 2024 (suivant l’avancement du chantier).
Nous vous remercions de votre compréhension et vous prions de nous excuser pour la gêne occasionnée.
Coupures d’eau Rue des Voirons
Dans le cadre des travaux de dévoiement du réseau d’eau potable rue de Romagny et route des Vallées, le service Eau et Assainissement d’Annemasse Agglo effectue des coupures d’eau.
Lundi 29/04:
- Rue des Voirons de 8h30 à 16h
Coupure d’eau avenue Pasteur
Dans le cadre des travaux de dévoiement du réseau d’eau potable avenue Pasteur, le
service Eau et Assainissement d’Annemasse Agglo effectue une coupure d’eau.
Lorsque l’eau est rétablie, les abonnés sont avisés qu’ils doivent prendre les dispositions et précautions d’usage.
A la suite de cette intervention :
- Présence passagère d’eau trouble
- Présence possible d’air dans les conduites
Le service Eau et Assainissement d’Annemasse Agglo vous remercie de votre compréhension et vous prie de l’excuser pour la gêne occasionnée. Plus d’informations : 04 50 87 62 73
Coupures d’eau Rue de Romagny
Dans le cadre des travaux de dévoiement des réseaux humides sur le projet du tram, plusieurs coupures d’eau doivent être réalisées rue de Romagny :
Jeudi 25/04 :
- de 8h30 à 17h
Coupures d’eau rue de Beulet
Dans le cadre des travaux de dévoiement des réseaux humides sur le projet du tram, une coupure d’eau urgente doit être réalisée la semaine prochaine.
Lundi 08/04 :
- de 08h30 à 17h00
Accès riverains rue des Vétérans avril 2024
Durant les travaux de voirie rue des Vétérans, la pose des bordures et le coulage de béton, l’accès aux places de stationnement sera impacté.
- Pour les riverains de la partie Est de la rue des Vétérans (3 rue des Vétérans, accès au parking souterrain, et côté rue du Commerce) l’accès sera fermé en journée à partir du 8 avril 2024. A noter qu’à partir du 15 avril jusqu’au 13 mai 2024, vous ne pourrez plus rentrer le soir sur vos places de stationnement : vous devrez utiliser les parkings SAGS pour vous garer.
- Pour les riverains de la partie Ouest de la rue des Vétérans (1 rue des Vétérans et côté rue de la Gare), l’accès aux places de stationnement sera fermé en journée à partir du 22 avril. A noter qu’à partir du 29 avril jusqu’à début juin, une fermeture complète est également prévue jour et nuit : vous devrez utiliser les parkings SAGS pour vous garer.
Durant ces fermetures, vous pouvez vous rendre place des Marchés ou sur les zones vertes avec votre badge SAGS pour vous garer gratuitement. Les dates de fin de travaux vous seront communiquées ultérieurement.
La Ville vous remercie de votre compréhension et met tout en œuvre pour améliorer votre cadre de vie.
Accès riverains rue des Vétérans
La semaine du 25 mars 2024 la Maison de l’Eau va intervenir rue des Vétérans. Du lundi 25 au jeudi 28 mars un camion bloquera une partie de la rue des Vétérans.
- Pour les riverains du 3 rue des Vétérans ou avec un accès au parking souterrain, il faudra emprunter l’avenue Pasteur.
- Pour les riverains du 1 rue des Vétérans l’accès se fera par la rue de la Gare.
Si vous ne pouvez pas accéder à votre place de stationnement durant ces 4 jours, vous pouvez vous garer sur une place verte grâce à l’abonnement SAGS.
La Ville d’Annemasse met tout en œuvre pour améliorer votre cadre de vie et vous remercie de votre compréhension.
Coupures d’eau rue de Romagny
Dans le cadre des travaux de dévoiement du réseau d’eau potable rue de Romagny et route des Vallées, le service Eau et Assainissement d’Annemasse Agglo effectue des coupures d’eau.
Lundi 25/03:
- rue de Romagny de 8h30 à 12h
- route des Vallées de 8h30 à 12h
Coupure d’eau avenue Pasteur
La partie impactée par la coupure d’eau va de la rue du Commerce au croisement Pasteur/ René Blanc.
Lorsque l’eau est rétablie, les abonnés sont avisés qu’ils doivent prendre les précautions d’usage.
A la suite de cette intervention :
- Présence passagère d’eau trouble
- Présence possible d’air dans les canalisations
Le service d’eau d’Annemasse Agglo vous remercie de votre compréhension et vous prie de l’excuser pour la gêne occasionnée.
Coupures d’eau avenue Pasteur
Dans le cadre des travaux de dévoiement du réseau d’eau potable avenue Pasteur, le service Eau et Assainissement d’Annemasse Agglo effectue une coupure d’eau.
Mardi 20/03 :
- sur l’ensemble de la rue de 14h à 17h
Coupures d’eau Rue des Voirons
Jeudi 18/03 :
- sur l’ensemble de la rue des Voirons de 8h30 à 12h
Livraison du local de la fontaine rue des Vétérans
La livraison du local de la fontaine rue des Vétérans nécessite pour des raisons de sécurité de fermer l’accès à la rue des Vétérans en journée, pour tous les véhicules.
Nous vous remercions pour votre compréhension.
Coupures d’eau urgentes rue du Commerce
Dans le cadre des travaux de dévoiements de réseaux sur la rue du Commerce, une fuite est survenue sur le chantier dans la matinée du 28/02. Une coupure d’eau d’urgence a dû être effectuée. Afin de réparer la fuite, une autre coupure d’eau est à prévoir :
Jeudi 29/02 :
- de 9h à 12h sur toute la rue du Commerce dont les numéros n°9, 11, 12, 13, 14, 14bis, 15, 16, 18, 20, 22, 24.
- de 9h à 12h place Jean Deffaugt n° 2 et 4
Coupures d’eau rue des Platanes
Mardi 05/03 :
- 1 rue des Platanes de 8h30 à 15h – Annulé
Mercredi 06/03 :
- rue des Platanes de 8h30 à 16h – Annulé
Lundi 11/03 :
- 1 rue des Platanes de 13h à 16h
Mardi 12/03 :
- rue des Platanes de 8h30 à 12h
Travaux de réseaux rues René Blanc et Paul Bert
Les travaux de réseaux arrivent sur les rues René Blanc et Paul Bert en ce début d’année 2024.
Les travaux à venir :
- Sur la partie Nord de la rue René Blanc (entre la rue du Faucigny et la rue Paul Bert), les travaux du réseau d’eau vont débuter le lundi 4 mars 2024 pour un mois environ.
Les accès riverains durant ces travaux :
- A partir du 4 mars 2024, la rue Paul Bert sera à double sens ainsi que l’avenue Pasteur entre la rue Jules Ferry et la rue René Blanc.
- La rue Paul Bert sera fermée durant les travaux à la circulation, sauf aux ayants-droits (riverains et riverains professionnels).
A noter que vous devez disposer d’un macaron distribué par la mairie ainsi que d’un disque bleu, pour pénétrer sur la zone piétonne et en travaux. Les personnes rentrant sur l’aire sans macaron pourront être verbalisées.
Coupures d’eau Av. Henri Barbusse
Dans le cadre des travaux de dévoiement des réseaux humides sur le projet du tram, plusieurs coupures d’eau doivent être réalisées:
Mercredi 28/02 :
- n°13 et 15 de 10h à 15h
Jeudi 29/02 :
- n° 19 et 25 de 8h30 à 12h
Coupures d’eau rue des Tournelles
Mercredi 28/02:
- toute la rue de 9h30 à 12h
Coupures d’eau rue Mme Fleutet
Dans le cadre des travaux de dévoiement des réseaux humides sur le projet du tram, plusieurs coupures d’eau doivent être réalisées:
Jeudi 29/02 :
- n° 13 de 13h à 16h – Annulé
Mercredi 06/03 :
- sur la rue Madame Fleutet de 8h30 à 12h
Coupures d’eau rue du Faucigny
Mercredi 28/02:
- toute la rue de 9h à 15h
Jeudi 29/02 :
- n° 29 et 31 de 8h30 à 12h – Annulé
- n° 27 de 13h à 16h – Annulé
Vendredi 01/03:
- n° 19 et 25 de 8h30 à 12h – Annulé
Lundi 04/03:
- n° 26 et 28 de 13h à 16h – Annulé
- Impasse Faucigny et le n° 32 de 8h30h à 12h – Annulé
Mardi 05/03:
- n° 36 et 38 de 8h30 à 15h – Annulé
Lundi 11/03:
- n°25, 28, 29, 31, 32 rue du Faucigny et Impasse du Faucigny de 8h30 à 12h
- n° 19, 26, 27, 36, 38 rue du Faucigny de 13h30 à 16h
Avenue de la Gare et rue du Môle en double sens
A partir du 16/02, même si ces rues ne sont pas directement impactées par les travaux du tram, il est nécessaire de les mettre à double sens pour fluidifier l’ensemble de la circulation.
Fluidification de la circulation vers Alsace-Lorraine
Dans le cadre des travaux du Tram, Annemasse Agglo préconise un itinéraire conseillé passant par l’avenue Alsace-Lorraine – voir le tracé. Cet itinéraire est proposé temporairement à partir du 19/02 afin de fluidifier la densité de circulation au niveau du rond-point de l’Étoile, fortement impacté par les travaux.
Stationnements
Afin de permettre ce flux de circulation, les stationnements actuels de l’avenue Alsace-Lorraine seront supprimés à partir de la semaine du 12/02.
Modification de circulation du rond-point de l’Etoile
A partir du 19 février, le rond-point sera reconfiguré pour faciliter le passage du tram et améliorer l’accès aux commerces locaux.
Durant cette phase des travaux de réseaux souterrains, un bassin de rétention des eaux pluviales va être réalisé et l’accès au rond-point va être modifié pendant 4 mois selon les accès présentés sur cette carte.
Vos commerces restent ouverts ! notamment sur la route de Vallées où la station essence, le supermarché, la pharmacie, la quincaillerie seront toujours accessibles.
Accès Riverains Av.Jules Ferry modifiés
L’avenue Jules Ferry au sud du carrefour Ferry‑Faucigny sera fermée à partir du 19/02.
Les accès riverains sur l’avenue du Faucigny et sur l’avenue Jules Ferry seront possibles en passant par la rue René-Blanc.
L’accès à votre domicile est modifié ? suivez les itinéraires routiers sur le plan.
Travaux de réseaux
La fermeture de l’entrée sur l’avenue Jules Ferry au niveau du carrefour de la rue du Faucigny intervient dans le cadre des travaux de réseaux souterrains pour le chantier du Tram. Les concessionnaires effectuent des travaux de réseaux (eau, électricité, gaz, assainissement, etc.). La séparation des réseaux de part et d’autre de la future plateforme constitue une étape indispensable. Une fois réalisée, il ne sera plus possible d’intervenir sous le tramway. Il convient donc de s’assurer que tout ce qui se situe dessous soit transposé et accessible pour de futures maintenances ou gestions de problèmes.
Accès riverains rue des Vétérans
Dans le cadre des travaux de piétonnisation l’accès des riverains sera impossible du 15 au 22 février 2024, de 7h30 à 18h (hors week-end).
Pour les riverains possédant un parking privatif dont l’accès sera rendu impossible en journée rue des Vétérans, vous devrez vous présentez à l’accueil de la société SAGS (parking Libération), pour récupérer une carte d’accès vous permettant de stationner au parking place des marchés tout au long de la plage payante, et jusqu’à la réouverture de la circulation dans la rue des Vétérans.
Nous vous prions de sortir votre véhicule de la rue des Vétérans avant jeudi 15 février 7h30.
L’accès à la rue des Vétérans sera possible tous les jours après 18h et le week-end, en entrant par la rue de la Gare. A partir du 19 février, l’entrée sur la rue des Vétérans se fera depuis l’avenue Pasteur.
Le mercredi 21 février 2024 la plateforme de la future fontaine qui se situera place Jean-Jacques Rousseau sera livrée.
Coupure d’eau du n°9 au n°24 rue du Commerce
Dans le cadre des travaux de réfection du réseau d’eau potable rue des Vétérans, le service Eau et Assainissement d’Annemasse Agglo 04 50 87 62 73 effectue une coupure d’eau pour les tests préalables et le raccordement de la conduite principale.
Le lundi 19 février 2024, de 8h30 à 15h du n°9 au n°24 rue du Commerce.
Lorsque l’eau est rétablie, les abonnés sont avisés qu’ils doivent prendre les dispositions et
précautions d’usage.
A la suite de cette intervention :
- Présence passagère d’eau trouble
- Présence possible d’air dans les conduites
Coupures d’eau rue du Commerce
Le basculement des branchements d’eau potable de la conduite existante sur la conduite neuve rue du Commerce se poursuit, ce qui nécessite les coupures d’eau suivantes :
- n°18 et 20 : prévue lundi 12/02 de 08h30 à 12h00
- n°14 : prévue lundi 12/02 de 13h30 à 16h00
- n°16 : prévue jeudi 15/02 de 08h30 à 12h00
La Ville d’Annemasse vous remercie de votre compréhension.
Changement du sens de circulation rue Albert Montfort
A partir du 15 février 2024 la rue Albert Montfort changera définitivement de sens de circulation. La rue sera accessible depuis la rue de la Gare avec une sortie rue Adrien Ligué.
Coupure d’eau 13 rue du Commerce
Dans le cadre des travaux de réfection du réseau d’eau potable rue des Vétérans, le
service Eau et Assainissement d’Annemasse Agglo 04 50 87 62 73 effectue une coupure
d’eau pour le raccordement de l’immeuble au n°13 rue du Commerce.
Lorsque l’eau est rétablie, les abonnés sont avisés qu’ils doivent prendre les dispositions et précautions d’usage.
Coupure d’eau n°11 rue du Commerce
Dans le cadre des travaux de réfection du réseau d’eau potable rue des Vétérans, le service Eau et Assainissement d’Annemasse Agglo 04 50 87 62 73 effectue une coupure
d’eau pour le raccordement de l’immeuble, n°11 rue du Commerce.
Lorsque l’eau est rétablie, les abonnés sont avisés qu’ils doivent prendre les dispositions et précautions d’usage.
A la suite de cette intervention :
– Présence passagère d’eau trouble
– Présence possible d’air dans les conduites
Suppression des arbres rue des Voirons
Les arbres présents dans la rue des Voirons devront être supprimés autour du 1er février afin de libérer la place pour les futures lignes aériennes de contact qui permettront d’alimenter le Tram en électricité. A terme, 2 arbres seront replantés dans la rue.
Accès riverains du 1er au 18 février 2024
A partir du 1er février 2024 pour accéder à l’aire piétonne en travaux vous devrez entrer par différentes rues suivant votre adresse de résidence. Les travaux de prolongement du Tram impliquent une nouvelle circulation au sein de la future aire piétonne, elle aussi en travaux.
Du 1er au 18 février 2024 :
- Les habitants de René Blanc et Paul Bert continuent d’entrer par l’avenue Pasteur et de sortir par l’avenue Ferry via Paul Bert.
- Les habitants de la rue Pasteur (entre René Blanc et Commerce) et de la rue du Commerce peuvent uniquement entrer par la place Deffaugt, puis par la rue du Commerce et sortent par l’avenue Pasteur
- Les habitants de la rue des Vétérans : un second flyer vous sera distribué prochainement avec les modalités d’accès.
A partir du 19 février 2024, tous les ayants-droits entrent par l’avenue Pasteur qui sera inversée (pour la portion René Blanc et Commerce) et sortent par la place de l’Hôtel de Ville.
Rappel : macaron obligatoire pour accéder à l’aire piétonne actuelle et à la future aire en travaux.
Coupure gaz
Une intervention pour rétablir le réseau de gaz au croisement des rues Vétérans/ Gare est en cours, le gaz devrait être rétabli le 24 janvier 2024.
La Ville d’Annemasse vous remercie de votre compréhension et s’excuse pour la gêne occasionnée.
Accès riverains rue du Faucigny
Avec l’arrivée des travaux du Tram dans le secteur, les accès à la rue du Faucigny (de Deffaugt à Ferry) sont modifiés. Cette portion de rue est accessible uniquement pour les riverains.
Les accès (entrée et sortie) pour la copropriété « Le Président » se font par la place Deffaugt. Pour les copropriétés situées au n°9,11 et 14, les accès se font par l’avenue Jules Ferry et la rue du Faucigny.
Les accès en voiture pour les riverains seront maintenus autant que possible mais seront amenés à être modifiés au gré des travaux.
Nous vous remercions de votre compréhension.
Accès riverains fermé en semaine rue des Vétérans
Dans le cadre des travaux des réseaux d’eau et de chaleur, la rue des Vétérans sera fermée à la circulation en semaine.
Habitants de l’aire piétonne actuelle : entrée temporaire
Habitants de l’aire piétonne « historique », à savoir : rue du Commerce « sud » depuis le croisement avec Pasteur, République, Fernand David (jusque Bastin), et la place de l’Hôtel de Ville, à partir du 16 janvier 2024 et jusqu’au 25 janvier 2024 inclus, pour accéder en voiture à l’aire piétonne, vous devrez emprunter la borne située devant la taverne de Maître Kanter (depuis la rue de la Gare) pour accéder à la place de l’Hôtel de Ville, et remonter en sens inverse (mise à double sens durant cette période).
Une intervention sur le réseau d’eau rue du Commerce à l’intersection avec l’avenue Pasteur, nécessite de fermer temporairement cette entrée sur l’aire piétonne.
Pour pénétrer dans l’aire piétonne « historique » et en travaux vous devez être en possession d’un macaron distribué par la Ville d’Annemasse à coller sur votre pare-brise, ainsi qu’un disque bleu attestant de la durée du stationnement. Pour rappel, vous disposez de 20 minutes maximum pour décharger des affaires, si vous ne possédez pas de place de stationnement.
Sans le macaron et le disque bleu vous pouvez être verbalisé.
- Les conteneurs ordures ménagères de la rue du Commerce « sud » devront être regroupés en face de « l’Atlas ». Le camion de collecte ne pourra pas entrer dans la rue du Commerce car il est dans l’impossibilité d’effectuer un demi-tour
Commerçants de ce secteur :
- Les livraisons devront se faire en périphérie (stationnement sur avenue Pasteur ou rue de la Libération).
- Les conteneurs « ordures ménagères » de la rue du Commerce « sud » devront être regroupés en face de « l’Atlas ». Le camion de collecte ne pourra pas entrer dans la rue du Commerce car il sera dans l’impossibilité d’effectuer un demi-tour.
A noter que pour les livraisons exceptionnelles type fioul, elles sont autorisées, avec un accès identique à celui des riverains. Il est préférable de se rapprocher de la Mairie (service vie publique/Relation usagers) en amont de l’intervention.
La Ville d’Annemasse vous remercie de votre compréhension.
Coupure d’eau rue du Chablais
En prévision des travaux de réseaux d’eau liés au Tram, une vanne sur le réseau d’eau potable doit être changée dans le secteur de la rue du Chablais à Annemasse.
Une coupure d’eau interviendra le 15 janvier 2024 de 8h à 16h. Les rues impactées seront les suivantes :
- Rue du Chablais
- Place Jean Deffaugt
- Rue du commerce
- Allée François Truffaut
L’intervention pourra engendrer une présence passagère d’eau trouble (coloration rouge, léger dépôt). Dans ce cas, il est recommandé de laisser couler l’eau. De l’air pourra également être présente dans les canalisations.
Pour toute question, vous pouvez contacter le service de l’eau et de l’assainissement d’Annemasse Agglo au 04 50 87 62 73
La collecte des déchets en centre-ville change
En janvier et février, la collecte des déchets sera aménagée en fonction des travaux et des modifications de circulation dans les secteurs du tram et de la piétonnisation. Les camions de collecte ne pourront plus passer dans certaines rues, la collecte des bacs en porte à porte ne sera plus possible dans ces rues. Des points de collecte avec des conteneurs fixes seront donc créés à plusieurs endroits dans le coeur de ville. Les ordures ménagères, le tri sélectif et les cartons devront être jetés directement dans les conteneurs prévus à cet effet.
Les riverains seront informés des modalités de collecte dans leur rue. L’information sera également diffusée sur ce site web, n’hésitez pas à le consulter régulièrement.
Modifications de circulation

Du 15 janvier au 31 janvier 2024, les habitants de la future aire piétonne connaitront des modifications d’accès à leur rue :
- Les habitants des rues Vétérans et Commerce entrent par la place Deffaugt et sortent par la place de l’Hôtel de Ville, par l’avenue Pasteur ou par la rue de la Gare selon l’avancement du chantier. A noter que pour les voeux du Maire le 20/01, la sortie devra se faire exceptionnellement par l’avenue Pasteur puisque la place de l’Hôtel de Ville sera fermée.
- Les habitants des rues René Blanc et Paul Bert entrent par l’avenue Pasteur (côté avenue Ferry) et sortent par l’avenue Jules Ferry via Paul Bert.
- Les habitants de l’avenue Pasteur (portion comprise entre la rue du Commerce et la rue René Blanc) entrent par la place Deffaugt et sortent par l’avenue Jules Ferry via la rue Paul Bert.
D’autres modifications d’accès seront à prévoir début février, n’hésitez pas à consulter la rubrique info travaux de ce site web pour vous tenir informé(s).
Réouverture temporaire de la rue du Beulet
La portion de la rue du Beulet actuellement fermée en raison des travaux de réseaux du Tram réouvrira temporairement à la circulation du 25 décembre 2023 au 7 janvier 2024.
Rue du Mont-Blanc : changement de sens de circulation
A compter du 8 décembre, Annemasse Agglo modifie la circulation rue du Mont-Blanc. Jusqu’à présent en double sens, celle-ci est mise en sens unique comme indiquée sur le plan ci-dessous.
- Pour tous les véhicules y compris bus : sens unique autorisé Av de la Gare => Rue du chablais.
- Pour les cycles : maintien du double sens.
- Pour la ligne de bus n°5 : nouveau quai le long de la rue
- Pour les stationnements : déplacement des 5 places de stationnement.
Pendant les travaux, tous les accès riverains sont maintenus.

Coupure d’eau n°6 rue de la Gare
Mardi 05 décembre 2023, de 8h30 à 12h, une coupure d’eau est prévue au n°6 rue de la Gare.
Dans le cadre des travaux de réfection du réseau d’eau potable rue des Vétérans, le service Eau et Assainissement d’Annemasse Agglo effectue une coupure d’eau pour le raccordement de l’immeuble. Lorsque l’eau est rétablie, les abonnés sont avisés qu’ils doivent prendre les dispositions et
précautions d’usage.
A la suite de cette intervention :
> Présence passagère d’eau trouble
> Présence possible d’air dans les conduites
Le service Eau et Assainissement d’Annemasse Agglo vous remercie de votre compréhension et vous prie de l’excuser pour la gêne occasionnée. Pour une question veuillez contacter la Maison de l’Eau : 04 50 87 62 73
Coupure d’eau rue des Vétérans
Lundi 11 décembre de 8h30 à 13h une coupure d’eau est prévue rue des Vétérans, pour le raccordement du réseau d’eau potable neuf au réseau existant rue de la Gare.
Risques pour les abonnés suite à cette intervention d’une présence passagère d’eau trouble et/ou d’une présence d’air dans les canalisations.
Annemasse Agglo vous remercie de votre compréhension et vous prie de bien vouloir l’excuser à l’avance pour la gêne occasionnée.
Si vous avez une question, vous pouvez contacter la Maison de l’Eau au 04.50.87.62.73.
Fermeture rue des Voirons le 18/12/2023
La rue des Voirons sera fermée à la circulation la journée du lundi 18 décembre 2023 de 6h30 à 16h, en raison du démontage d’une grue.
Les riverains pourront accéder à l’aire piétonne via la place Jean Deffaugt.
Merci pour votre compréhension.
Coupures d’eau rue des Vétérans et pl. JJ Rousseau
Dans le cadre des travaux de réfection du réseau d’eau potable rue des Vétérans, le service Eau et Assainissement d’Annemasse Agglo effectue une coupure d’eau pour le raccordement de l’immeuble. Lorsque l’eau est rétablie, les abonnés sont avisés qu’ils doivent prendre les dispositions et précautions d’usage.
Lundi 04 décembre :
- de 08h30 à 12h00 : n°3 rue des Vétérans et 2, 4, 6 et 8 pl. J.J Rousseau
- de 13h30 à 16h30 : n°5 rue du Commerce.
Annemasse Agglo vous remercie de votre compréhension et vous prie de bien vouloir l’excuser à l’avance pour la gêne occasionnée. Si vous avez une question, vous pouvez contacter la Maison de l’Eau au 04.50.87.62.73
Coupures d’eau Av. Barbusse et Rte des Vallées
Dans le cadre des travaux de réfection du réseau d’eau potable, le Service de l’Eau et de l’Assainissement d’Annemasse Agglo est contraint d’effectuer une coupure d’eau le lundi 4 décembre 2023 de 8h à 17h dans le secteur de l’avenue Henri Barbusse / route des Vallées
L’eau pouvant être rétablie avant ou après l’heure prévue, les abonnés sont avisés qu’ils doivent prendre les dispositions et précautions d’usage.
Risques pour les abonnés suite à notre intervention d’une présence passagère d’eau trouble et/ou d’une présence d’air dans les canalisations.
Annemasse Agglo vous remercie de votre compréhension et vous prie de bien vouloir l’excuser à l’avance pour la gêne occasionnée.
Si vous avez une question, vous pouvez contacter la Maison de l’Eau au 04.50.87.62.73.
Collecte des déchets rue des Platanes
Depuis le 28 novembre 2023, la collecte des déchets rue des Platanes en pied d’immeuble est rétablie. Vous pouvez déposer vos déchets dans vos poubelles habituelles.
Les déchets sont collectés aux jours et horaires habituels :
- ordures ménagères (poubelle grise) :
les mardis et vendredis - emballages et papiers (poubelle jaune) :
les mercredis
Les bacs doivent être sortis sur la voie publique la veille de la collecte dès 19h ou le jour même avant 4h, poignée tournée vers la route.
Fermeture aux riverains : rue des Vétérans
A partir du 20 novembre 2023, fermeture à la circulation automobile de 7h30 à 18h jusqu’au 15 décembre 2023.
Dans le cadre des travaux du réseau d’eau et de l’extension du réseau de chaleur de la rue des Vétérans, en lien avec la piétonnisation du centre-ville, le chantier nécessite la fermeture totale en journée de la rue aux véhicules.
Pour les riverains possédant un parking privatif dont l’accès sera rendu impossible en
journée rue des Vétérans, la Ville établira une liste de ces usagers et la transmettra à la
société SAGS, pour donner des droits d’accès au parking de la place des Marchés dès le 20 novembre, tout au long de la plage payante, et jusqu’à la réouverture de la circulation dans la rue des Vétérans. La Ville prendra en charge le coût du stationnement.
Pour bénéficier de ces droits d’accès, les usagers concernés sont invités à se rendre en
mairie avant le jeudi 16 novembre, munis :
- D’un justificatif d’identité,
- D’un justificatif de domicile (facture eau/EDF…)
- D’un élément établissant que vous disposez d’un emplacement de stationnement
uniquement accessible depuis la rue des Vétérans (bail, quittance de loyer…) - De la carte grise du (des) véhicule(s) concernés
Pour les commerçants, la Ville autorise le déchargement de marchandises pour les
livraisons depuis le parking arrière de la mairie place JJ Rousseau, pour des véhicules de petits gabarits. Rue des Vétérans, si le livreur doit accéder au plus près du commerce, il doit le faire avant 7h30.
Pour les autres véhicules, une place de livraison sera créée rue de la Gare au plus proche de la rue des Vétérans. Les livraisons devront s’effectuer entre 7h et 11h.
La Ville d’Annemasse vous remercie de votre compréhension et vous prie de bien
vouloir l’excuser à l’avance pour la gêne occasionnée.
Changement de la collecte des déchets
A compter du lundi 13 novembre 2023, en raison de la fermeture de la rue du Faucigny, le camion de collecte des déchets ne pourra plus collecter les conteneurs dans les rues du Faucigny, Fleutet et Platanes. La gestion des déchets est donc modifiée :

Rue du Faucigny / Platanes
- Dernière collecte des bacs à ordures ménagères et de tri la semaine du 13 novembre aux jours habituels. Les locaux poubelles des immeubles seront fermés dès le lundi 13 novembre au soir.
- Habitants et commerçants devront apporter leurs déchets dans les conteneurs/bacs collectifs dédiés aux extrémités des rues (voir carte)
Rue Fleutet
- Les locaux poubelles des immeubles restent ouverts
- Les bacs à ordures ménagères et de tri des habitants et des commerçants doivent être apportés dans la zone dédiée (à l’intersection entre l’avenue Jules Ferry et la rue Fleutet) aux jours habituels de collecte (voir carte).
Coupure d’eau rue des Vétérans
Dans le cadre des travaux de réfection du réseau d’eau potable rue des Vétérans, le service Eau et Assainissement d’Annemasse Agglo effectue une coupure d’eau.
A la suite de cette intervention :
- Présence passagère d’eau trouble
- Présence possible d’air dans les conduites
Coupures d’eau
Dans le cadre de l’entretien et de la réparation de son réseau d’eau potable, le Service de l’Eau et de l’Assainissement est contraint d’effectuer des travaux de changement de vannes.
Nuit de lundi 20 novembre 2023 de 21h30 à 04h00
Nuit de mardi 21 novembre 2023 de 21h00 à 07h00
Nuit de mercredi 22 novembre 2023 de 21h00 à 07h00
Les rues concernées : Avenue du Giffre – Rue des Tournelles – Route des Vallées – Avenue Henri Barbusse –Rue de Faucigny
L’eau pouvant être rétablie avant ou après l’heure prévue, les abonnés sont avisés qu’ils doivent prendre les dispositions et précautions d’usage.
Risques pour les abonnés suite à notre intervention d’une présence passagère d’eau trouble et/ou d’une présence d’air dans les canalisations.
Annemasse Agglo vous remercie de votre compréhension et vous prie de bien vouloir l’excuser à l’avance pour la gêne occasionnée.
Si vous avez une question, vous pouvez contacter la Maison de l’Eau au : 04.50.87.62.73
Perturbations réseau d’eau potable
Dans le cadre de l’entretien et de la réparation de son réseau d’eau potable, la Direction de l’Eau et de l’Assainissement est contrainte d’effectuer des tests sur des vannes, sur plusieurs rues :
le mercredi 15 novembre 2023, de 22h au jeudi 16 novembre, à 5h
Les rues concernées : Rue de Genève / des Vétérans / de la Gare / Adrien Ligue / Molière /du Parc /des Voirons /du Mont Blanc / Cursat /du Docteur Coquand /du Chablais / du Commerce / Camps / de la Faucille / Place Jean Deffaugt / avenue Pasteur et de la Gare.
L’eau pouvant être rétablie avant ou après l’heure prévue, les abonnés sont avisés qu’ils doivent prendre les dispositions et précautions d’usage.
Pour une question, vous pouvez contacter la Maison de l’Eau : 04.50.87.62.73
Annemasse Agglo vous remercie de votre compréhension et vous prie de bien vouloir l’excuser à l’avance pour la gêne occasionnée.
Coupure d’eau rue du Commerce
Dans le cadre des travaux de réfection du réseau d’eau potable rue des Vétérans, le
service Eau et Assainissement d’Annemasse Agglo effectue une coupure d’eau pour raccordement rue du Commerce, le lundi 13 novembre 2023, de 8h30 à 12h.
L’eau pouvant être rétablie avant ou après l’heure prévue, les abonnés sont avisés qu’ils doivent prendre les dispositions et précautions d’usage.
A la suite de cette intervention :
- Présence passagère d’eau trouble
- Présence possible d’air dans les conduites
Le service Eau et Assainissement d’Annemasse Agglo vous remercie de votre compréhension et vous prie de l’excuser pour la gêne occasionnée.
Pour toute question, contactez le service de l’eau d’Annemasse Agglo : 04 50 87 62 73
Coupures d’eau rue du Beulet
Dans le cadre de l’entretien et de la réparation de son réseau d’eau potable liés aux travaux du tramway, le service de l’eau et de l’assainissement d’Annemasse Agglo est contraint d’effectuer des tests sur des vannes ce jeudi 2 novembre.
Des coupures d’eau auront lieu dans la rue du Beulet entre 7h et 19h (durée de la coupure : 1h environ).
Pour toute question, contactez le service de l’eau d’Annemasse Agglo : 04 50 87 62 73
Annemasse Agglo remercie ses usagers pour leur compréhension et les prie de s’excuser pour la gêne occasionnée.
Mise en impasse des rues Fleutet et Platanes
Les rues Madame Fleutet et Platanes seront mises en impasse à partir du 13 novembre, lorsque la rue du Faucigny fermera à la circulation. Les accès se feront respectivement par l’avenue Jules Ferry et la rue Pasteur.
Déviation de la ligne de bus Tango
A partir du 30 octobre 2023, la ligne de bus Tango qui relie le centre-ville d’Annemasse aux Parkings Relais Jean-Monnet et Altéa sera déviée et suivra le même trajet que la ligne 3 entre la rue Alfred Bastin et la rue de l’Annexion. L’arrêt « Périllat Lycée » permettra de desservir le Lycée des Glières.
N’hésitez pas à contacter TAC Mobilités, l’opérateur de transports d’Annemasse Agglo pour toute question en lien avec le réseau de transports en commun : www. tac-mobilites.fr / 0 800 00 19 53
Mise en sens unique d’une portion de l’av. de Verdun
La portion de l’avenue de Verdun située entre la rue du Stade Albert Baud et la rue du Beulet passera en sens unique en direction du rond-point de l’Etoile à partir du 30 octobre 2023.
Fermeture de la rue du Beulet
Le carrefour Rue du Beulet / Avenue Henri Barbusse, en direction de l’avenue Alfred Bastin, sera fermé à la circulation à partir du 30 octobre.
Fermeture de la rue du Faucigny
Les travaux de réseaux vont commencer à partir du 13 novembre 2023. La rue du Faucigny, entre le rond-point de l’Etoile et l’avenue Jules Ferry, ne sera plus accessible aux voitures à partir de cette date. Seuls les riverains de l’impasse du Faucigny pourront emprunter la rue du Faucigny depuis l’avenue Jules Ferry pour rejoindre leur habitation. Les commerces de la rue du Faucigny restent accessibles, à seulement 5 minutes à pied du parking Libération.
Mise en double sens de l’av. Alfred Bastin
L’avenue Alfred Bastin passera en double sens à partir du 13 novembre 2023. L’avenue sera donc désormais accessible depuis la rue Aristide Briand et permettra d’accéder au parking Libération.
Coupures d’eau
Dans le cadre de l’entretien et de la réparation de son réseau d’eau potable liés aux travaux du tramway, le service de l’Eau et de l’Assainissement d’Annemasse Agglo est contraint de remplacer des vannes du jeudi 26 (7h30) au vendredi 27 octobre (18h30). Des coupures d’eau auront lieu dans les secteurs suivants :
- Rues de Monthoux, Levant, Glières, Tournelles, Faucigny
- Avenues Florissant, Giffre, Jules Ferry
Suite aux interventions, des perturbations peuvent survenir sur le réseau d’eau (présence passagère d’eau trouble, présence d’air dans les canalisations).
Pour toute question, n’hésitez pas à contacter le service de l’eau d’Annemasse Agglo : 04.50.87.62.73
Annemasse Agglo remercie ses usagers pour leur compréhension et les prie de s’excuser pour la gêne occasionnée.
Premiers travaux rue du Faucigny
Des premiers travaux préparatoires commenceront rue du Faucigny à partir du 30 octobre (entre le rond-point de l’Etoile et l’avenue Jules Ferry). Durant la semaine, la rue sera réduite à une voie de circulation et une partie du stationnement sera supprimée.
Travaux rue du Commerce
Depuis le 16 octobre 2023 des travaux pour l’extension du réseau de chaleur sont en cours rue du Commerce, et jusqu’à mi-novembre 2023. Par la suite d’autres travaux de réseaux interviendront avant la piétonnisation de la rue.
La rue des Vétérans poursuit quant à elle ses travaux de réseau d’eau, entamés le 11 septembre 2023.
En 2024, les rues des Vétérans, du Commerce et une partie de l’avenue Pasteur seront piétonnes.
Les commerces sont ouverts et ont le plaisir de vous accueillir aux horaires d’ouverture habituels.
Mise en sens unique de l’av. Henri Barbusse
A partir du 16 octobre :
- l’avenue Henri Barbusse passera en sens unique entre la rue du Beulet et le rond-point de l’Etoile. Les places de stationnement le long de l’avenue seront supprimées dans un premier temps du côté de la Maison des Sports puis de l’autre côté.
Pour en savoir plus sur toutes les modifications de circulation dans le secteur dans les prochains jours, rendez-vous sur la page dédiée
Perturbations réseau d’eau potable
Dans le cadre de l’entretien et de la réparation de son réseau d’eau potable liés aux travaux du tramway, le service de l’Eau et de l’Assainissement d’Annemasse Agglo est contraint d’effectuer des tests sur des vannes du lundi 16 (8h) au vendredi 20 octobre (18h) dans les secteurs suivants :
- Rues Du Faucigny / Aristide Briand / des Platanes / Madame Fleutet / Paul Bert
- Avenue Jules Ferry
Des interventions auront lieu également durant la nuit du 17 Octobre 2023 de 23h à 5h.
Durant les interventions, des perturbations peuvent survenir sur le réseau d’eau (présence passagère d’eau trouble, présence d’air dans les canalisations, baisse de pressions d’une heure maximum).
Pour toute question, n’hésitez pas à contacter le service de l’eau d’Annemasse Agglo : 04.50.87.62.73
Annemasse Agglo remercie ses usagers pour leur compréhension et les prie de s’excuser pour la gêne occasionnée.
Coupure d’eau centre-ville
Dans le cadre de l’entretien et de la réparation de son réseau d’eau potable liés aux travaux du tramway, le service de l’Eau et de l’Assainissement d’Annemasse Agglo est contraint d’effectuer des tests sur des vannes ce dimanche 1er octobre dans le centre-ville:
Secteur concerné sur Annemasse :
- Rue du Chablais et rue du Faucigny
- Place Jean Deffaugt
Les perturbations sont à prévoir le Dimanche 1er Octobre 2023 entre 15h à 18h
Durée de la coupure : 1h
Annemasse Agglo remercie ses usagers pour leur compréhension et les prie de s’excuser pour la gêne occasionnée.
Perturbations réseau d’eau potable
– Avenues de Verdun et Alsace Lorraine
Coupures d’eau rue de la Gare et rue des Voirons
Travaux de remplacement des vannes d’eau
La Maison de l’Eau procède actuellement aux travaux de remplacement de vannes sur le réseau d’eau potable qui nécessitent d’être changées ou ajoutées, afin de pouvoir procéder aux coupures d’eau ponctuelles en vue des travaux de dévoiement des réseaux. Ces travaux peuvent entraîner des coupures d’eau ponctuelles dans les secteurs suivants jusqu’à fin août :
Rue de Malbrande/Route des Vallées
Avenue de Verdun/Rue du Stade Albert Baud
Rue du Faucigny/Place Jean Deffaugt
Rue Henri Barbusse/Avenue de Verdun
Lancement des travaux rue des Vétérans
Les travaux de réaménagement du centre-ville d’Annemasse débuteront dès le lundi 11 septembre 2023, par la rue des Vétérans.
Ils débuteront par la rénovation des réseaux (eau, chauffage, électricité, gaz, télécommunication) pour ensuite poursuivre, début janvier, par l’aménagement de surface.
Ainsi, dès le printemps 2024, la rue des Vétérans sera piétonne, actant le début d’une nouvelle ère pour le centre-ville.
Dès le début des travaux, la rue des Vétérans sera fermée à la circulation automobile, ainsi que la rue du Commerce et l’avenue Pasteur (jusqu’à l’intersection avec la rue René Blanc) à l’exception des ayants-droits (riverains et commerçants). La zone sera configurée comme les samedis, avec une entrée pour les ayants-droits via la borne située rue des Voirons, et devront donc être en possession d’un badge et d’un macaron.
Les commerçants pourront toujours se faire livrer pendant la durée des travaux, de 7h à 11h. Les livreurs devront également entrer par la rue des Voirons.
Les travaux de réseaux de la rue du Commerce commenceront quant à eux mi-octobre, suivis de près par ceux de l’avenue Pasteur (jusqu’à l’intersection avec la rue René Blanc).
La Ville vous remercie de votre compréhension et met tout en œuvre pour améliorer votre cadre de vie.
Aménagement rue de Malbrande et parking Maison des sports
Dans le cadre des travaux préparatoires du Tram, Annemasse Agglo aménage une partie de la rue de Malbrande afin de préparer le changement de sens de circulation de la rue :
- Nouveau carrefour à feux tricolores à l’intersection entre la rue de Malbrande et la route des Vallées,
- Création d’une bande cyclable,
- Suppression / création de places de stationnement.
La circulation automobile passera définitivement en sens unique, dans le sens Av Barbusse > Route des Vallées, cet automne.
Le parking de la Maison des Sports sera quant à lui fermé du 16 août au 4 septembre afin de créer 14 places de stationnement supplémentaires dont 1 pour les personnes à mobilité réduite.
Ces travaux impliqueront :
- Un changement de sens de circulation au sein du parking, induit par l’inversion du sens de circulation de la rue de Malbrande. A partir du 4 septembre, l’accès au parking se fera par la rue de Malbrande et la sortie par la rue du Beulet et ce, de manière définitive.
- La suppression de la fontaine.
- La suppression des blocs en gabions.
Nous vous remercions de votre compréhension.
Travaux sur le réseau de gaz
GRDF réalise actuellement des travaux avenue Jules Ferry / rue Mme Fleutet et ce, jusqu’au 13 juillet. Les travaux consistent à réalimenter les antennes qui passent sous le futur tracé du tram par d’autres points.
- Etape 1 : terrassement et préparation
- Etape 2 : essais et opérations de raccordement/déraccordement
- Etape 3 : remblai et réfections définitives des dernières fouilles.
Nous vous remercions pour votre compréhension.
Création d’une planche d’essai des futurs revêtements
Déjà les travaux de voirie près du Parc Montessuit? cela serait trop beau pour être vrai ! Les travaux qui s’opèrent actuellement dans le prolongement de l’arrêt Parc Montessuit sont en réalité la création d’une planche d’essai permettant de visualiser les futurs revêtements des places et trottoirs et de la plateforme du Tram. Trois types de pavés et des joints différents seront ainsi posés au sol et seront testés par les associations locales de Personnes à Mobilité Réduite prochainement afin que les revêtements puissent être adaptés à leur passage. Cette planche, d’une surface d’environ 70m2, restera pendant plusieurs mois.
Mise à double sens de la rue Aristide Briand
A partir du mercredi 21 juin 2023 le plan de circulation rue Aristide Briand est modifié, la rue sera à double sens ainsi qu’en zone 30.
Retrouvez toutes les informations sur annemasse.fr




